New Search Family, Subfamily and Tribe List

SubFamily Cerambycinae

Tribe Clytini
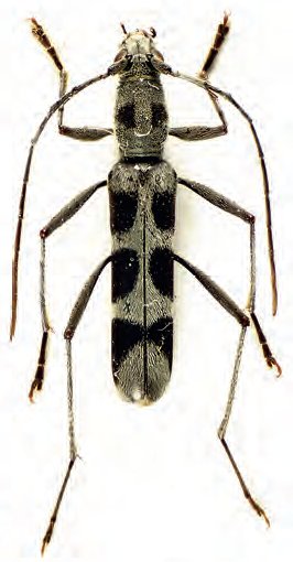
Demonax quaesitus Dauber 2014

Specimen Type: holotype
Sex: m
Institution: Dauber Collection
Photographer: Diethard Dauber
Collection Location: Tanah Rata, Cameron Highlands, Malaysia
74651

130425