_Viktora_coll_Tichy_Jiuzhaigou_Sichuan_China_Vikt_pic.jpg)
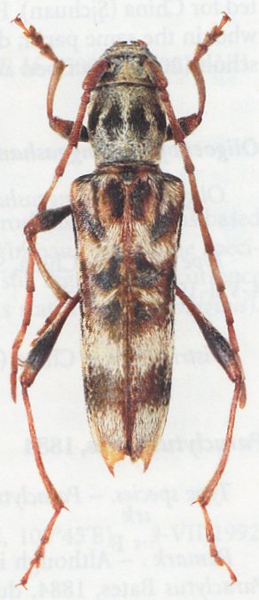
Specimen Type: holotype Sex: m Institution: Tichy Collection Photographer: Petr Viktora Collection Location: Jiuzhaigou, Sichuan Province, China 74959
|
_Viktora_Tichy_coll_Jiuzhaigou_Sichuan_China_Vikt_pic.jpg)
Specimen Type: paratype Sex: f Institution: Tichy Collection Photographer: Petr Viktora Collection Location: Jiuzhaigou, Sichuan Province, China 74960
|