_Lazarev_inDanilevsky_coll_Utrot_Swat_prov_Pakistan.jpg)
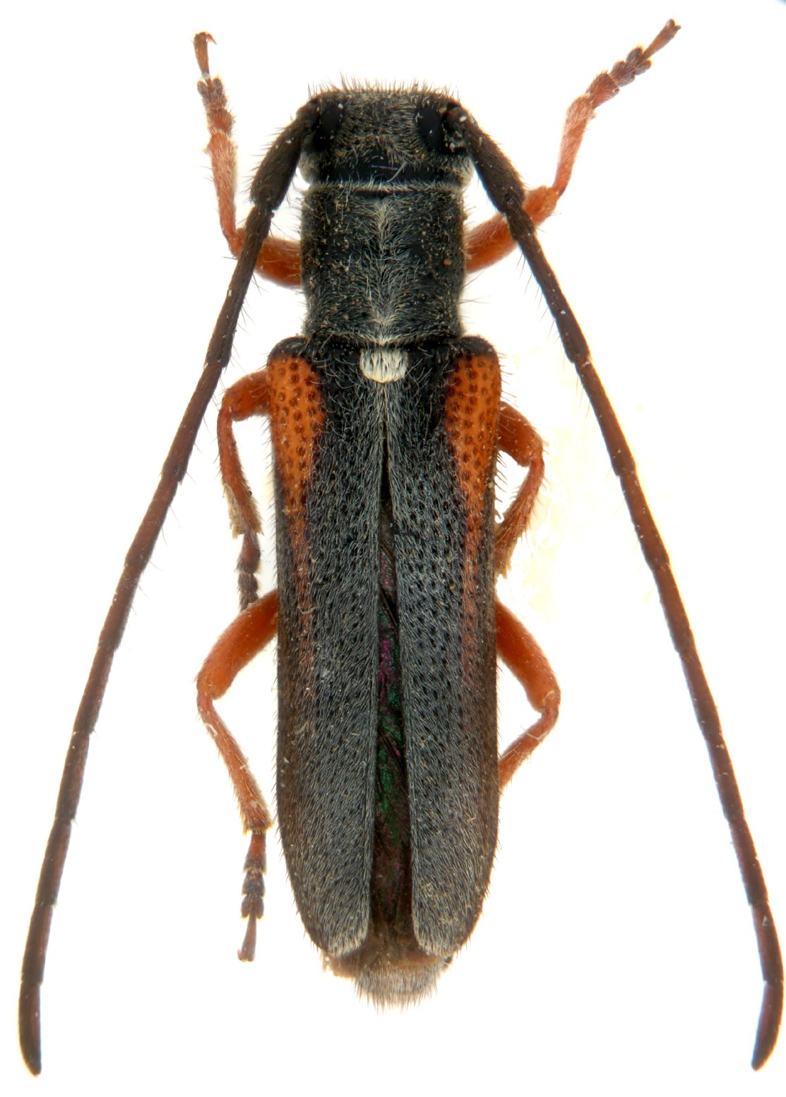
Specimen Type: holotype Sex: m Institution: Danilevsky Collection Photographer: Lazarev Collection Location: Utrot, Swat Province, Pakistan 70222
|
_Lazarev_inDanilevsky_coll_Utrot_Swat_prov_Pakistan.jpg)
Specimen Type: holotype Sex: m Institution: Danilevsky Collection Photographer: Lazarev Collection Location: Utrot, Swat Province, Pakistan 70223
|