New Search Family, Subfamily and Tribe List

SubFamily Cerambycinae

Tribe Clytini
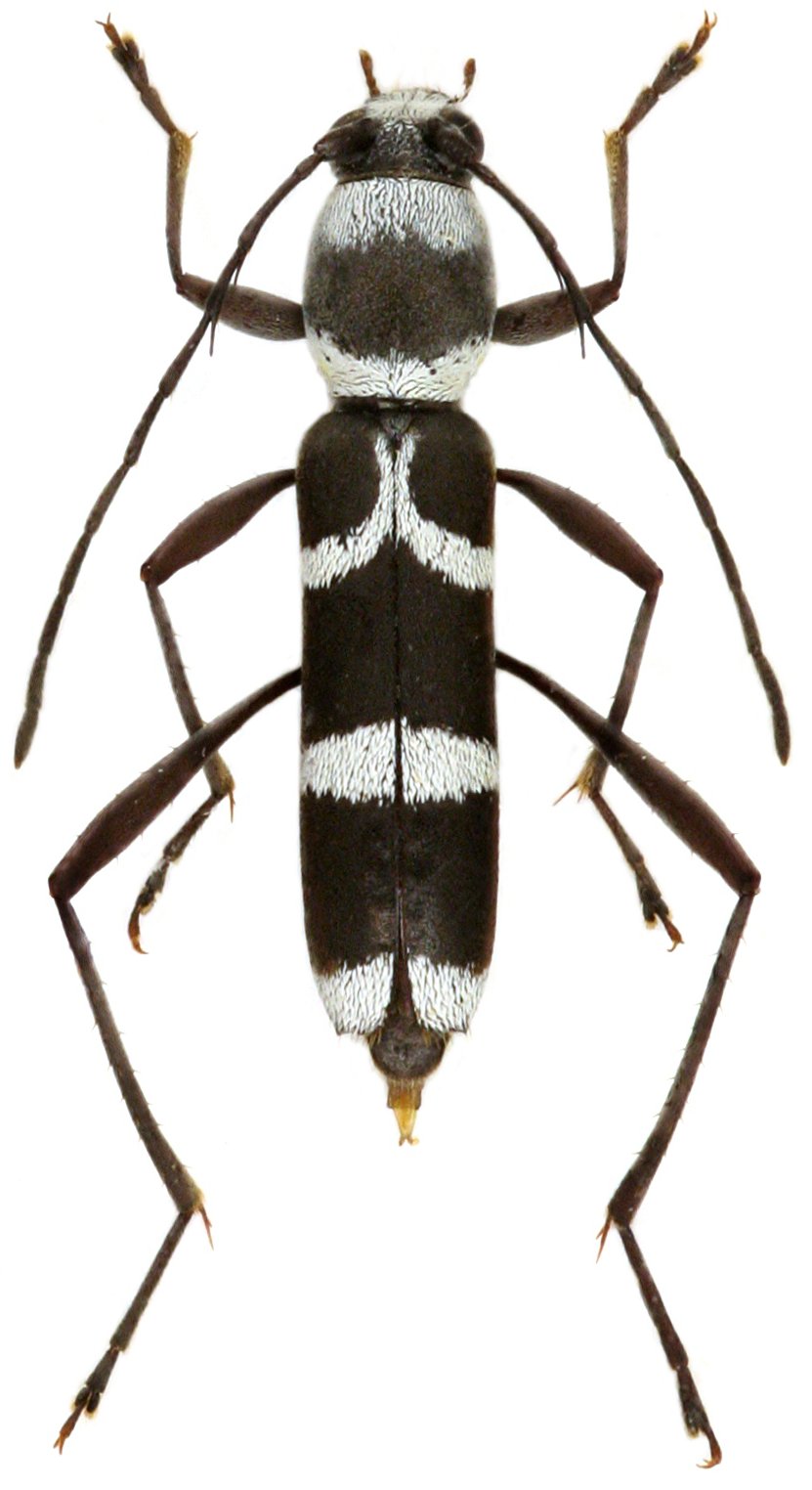
Demonax palikei Viktora 2018

Specimen Type: holotype
Sex: m
Institution: Viktora Collection
Photographer: Petr Viktora
Collection Location: Raka Forest, Desa Raenalulu, Savu Island, Indonesia
70209


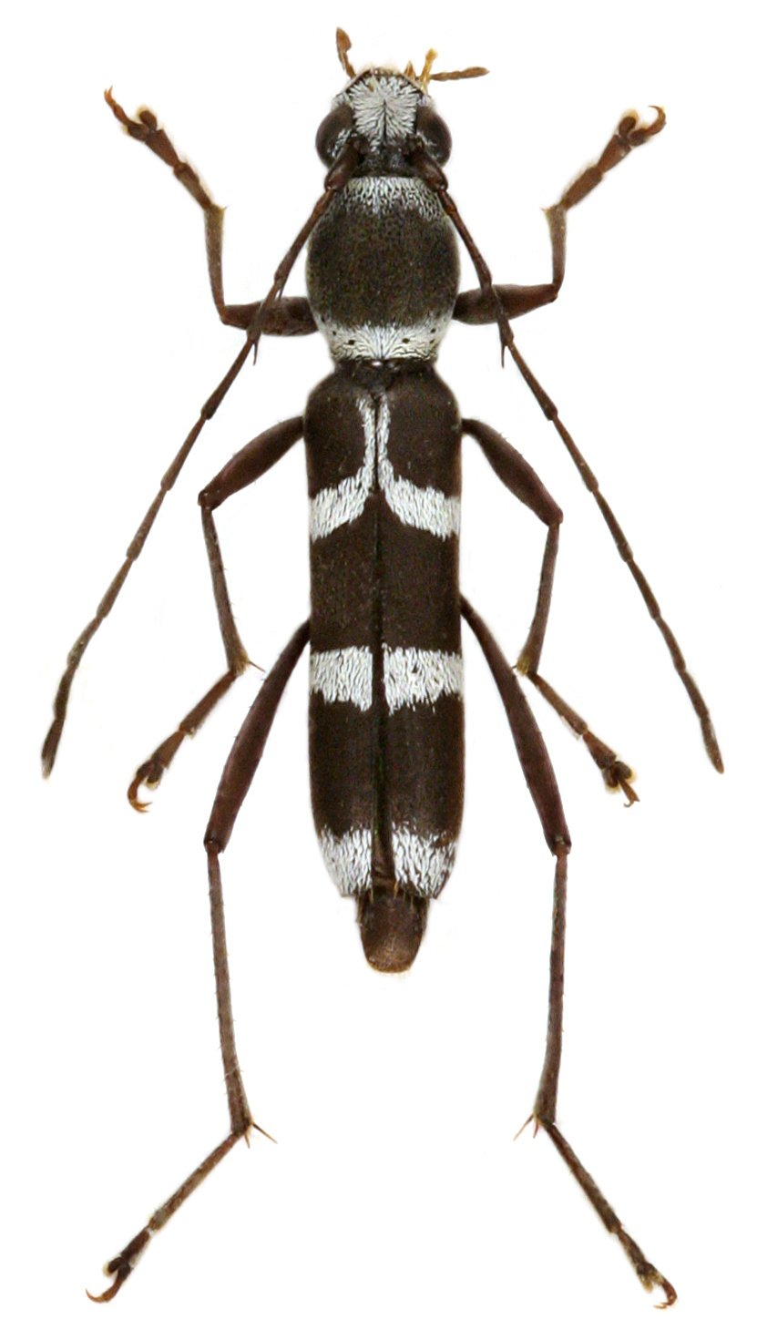
Specimen Type: holotype
Sex: m
Institution: Viktora Collection
Photographer: Petr Viktora
Collection Location: Raka Forest, Desa Raenalulu, Savu Island, Indonesia
70210


Specimen Type: paratype
Sex: f
Institution: Viktora Collection
Photographer: Petr Viktora
Collection Location: Raka Forest, Desa Raenalulu, Savu Island, Indonesia
70211

130425