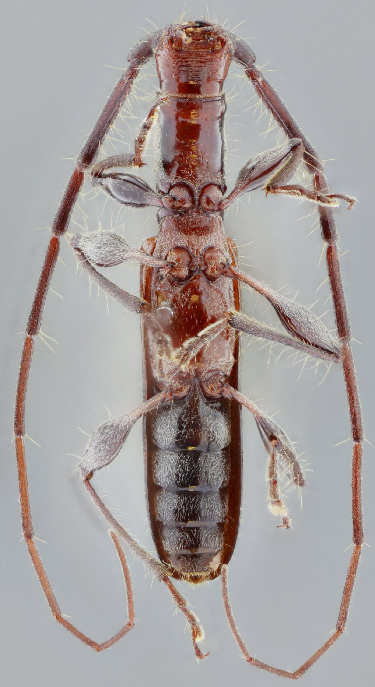
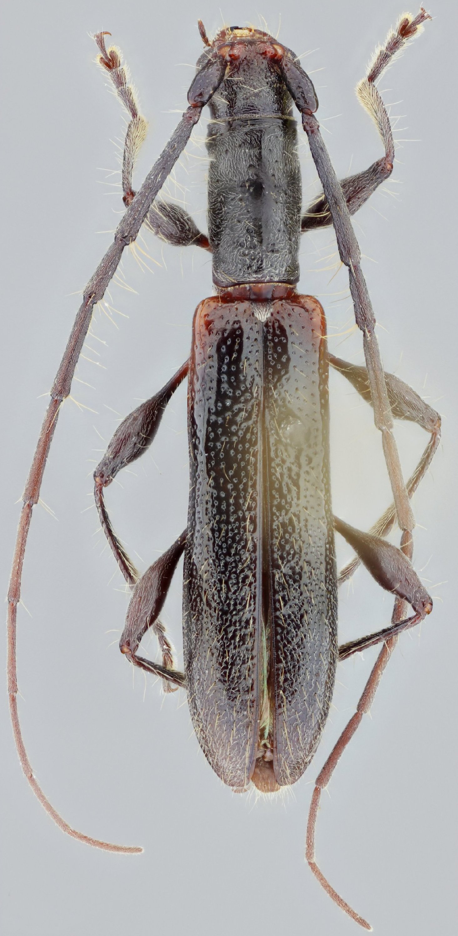
_Bez_SS_CAS_Hwy_190_5kmW_jct_rd_toSan_Dionisio_Ocotepec_Oaxaca_Mex_SS.jpg)
Specimen Type: holotype Sex: m Institution: CAS California Academy of Sciences, San Francisco, CA, USA Photographer: Antonio Santos-Silva Collection Location: Hwy 190, 5 km W jct road to San Dionisio, Ocotepec, Oaxaca, Mexico 70087
|
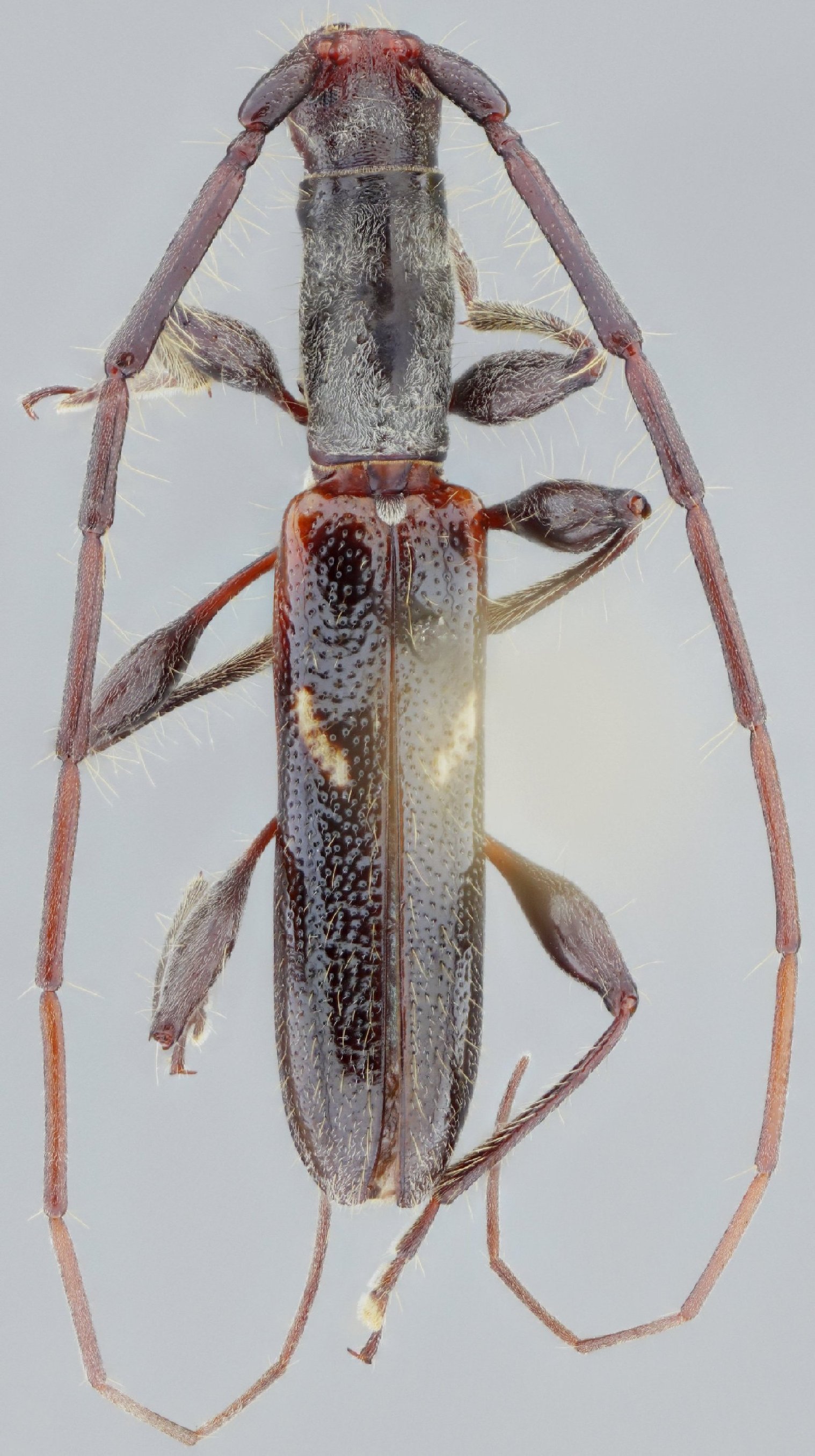
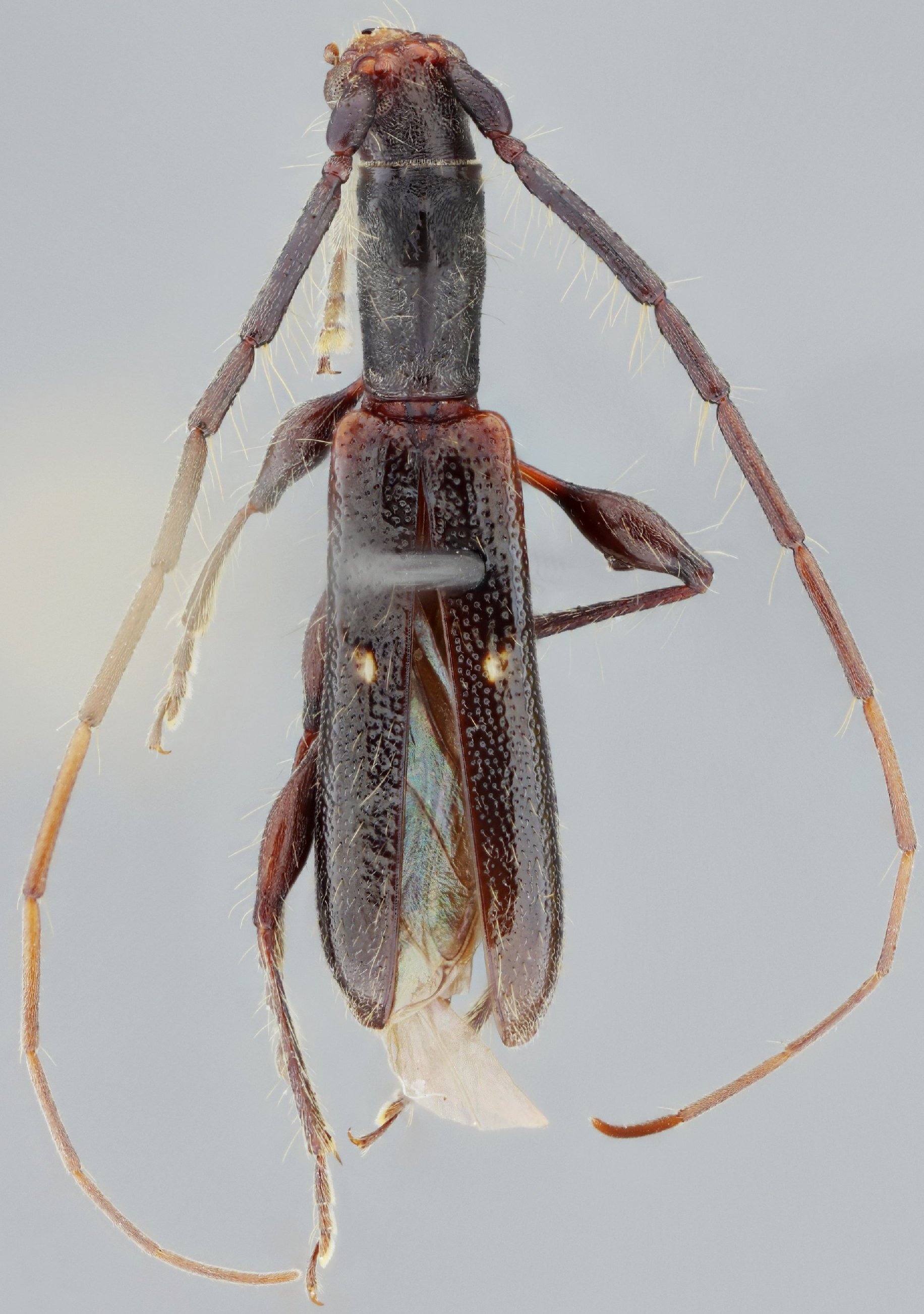
_Bez_SS_CAS_Hwy_190_5kmW_jct_rd_toSan_Dionisio_Ocotepec_Oaxaca_Mex_SS.jpg)
Specimen Type: holotype Sex: m Institution: CAS California Academy of Sciences, San Francisco, CA, USA Photographer: Antonio Santos-Silva Collection Location: Hwy 190, 5 km W jct road to San Dionisio, Ocotepec, Oaxaca, Mexico 70088
|
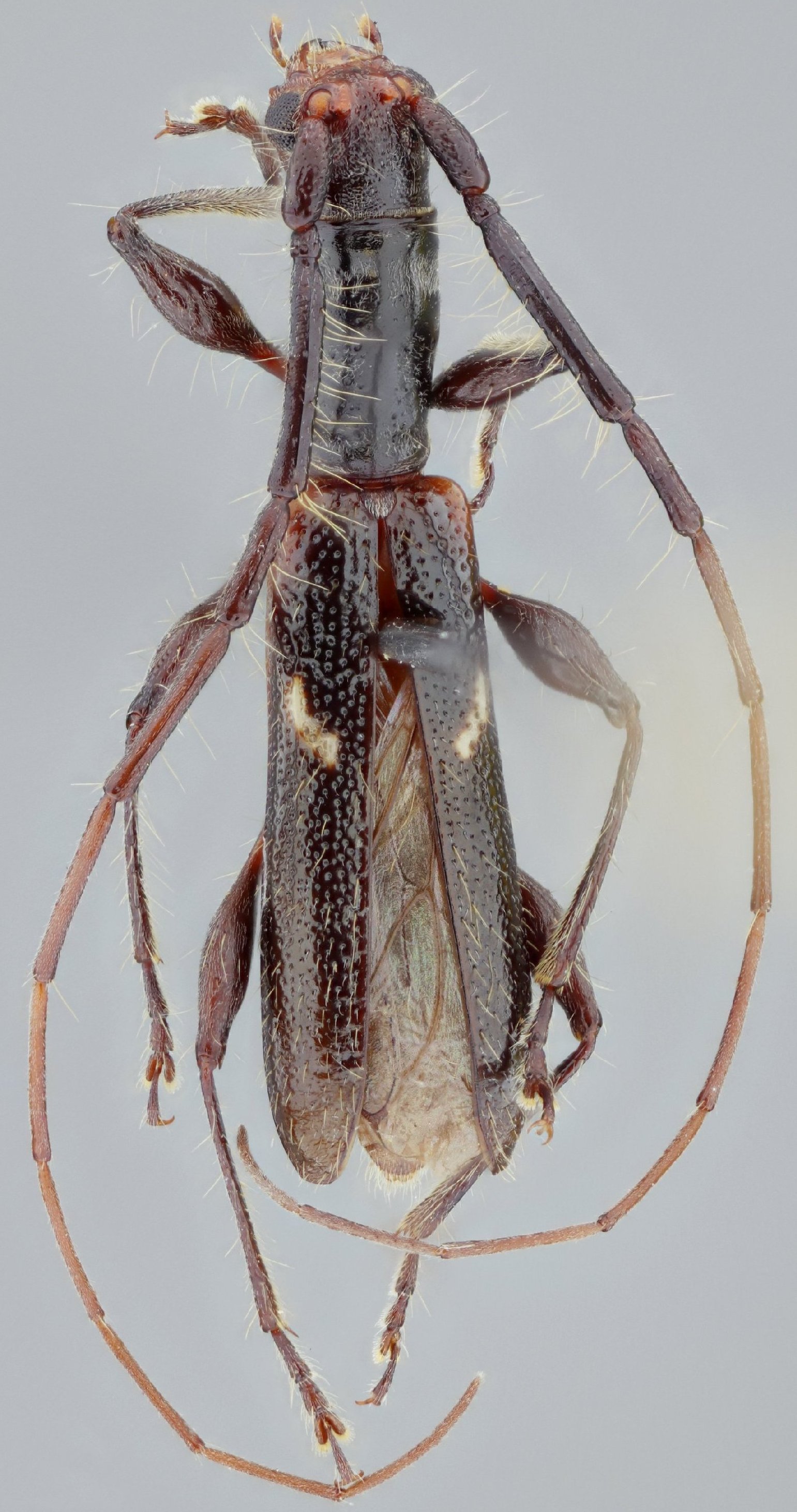
_Bez_SS_CAS_Hwy_190_5kmW_jct_rd_toSan_Dionisio_Ocotepec_Oaxaca_Mex_SS.jpg)
Specimen Type: holotype Sex: m Institution: CAS California Academy of Sciences, San Francisco, CA, USA Photographer: Antonio Santos-Silva Collection Location: Hwy 190, 5 km W jct road to San Dionisio, Ocotepec, Oaxaca, Mexico 70089
|
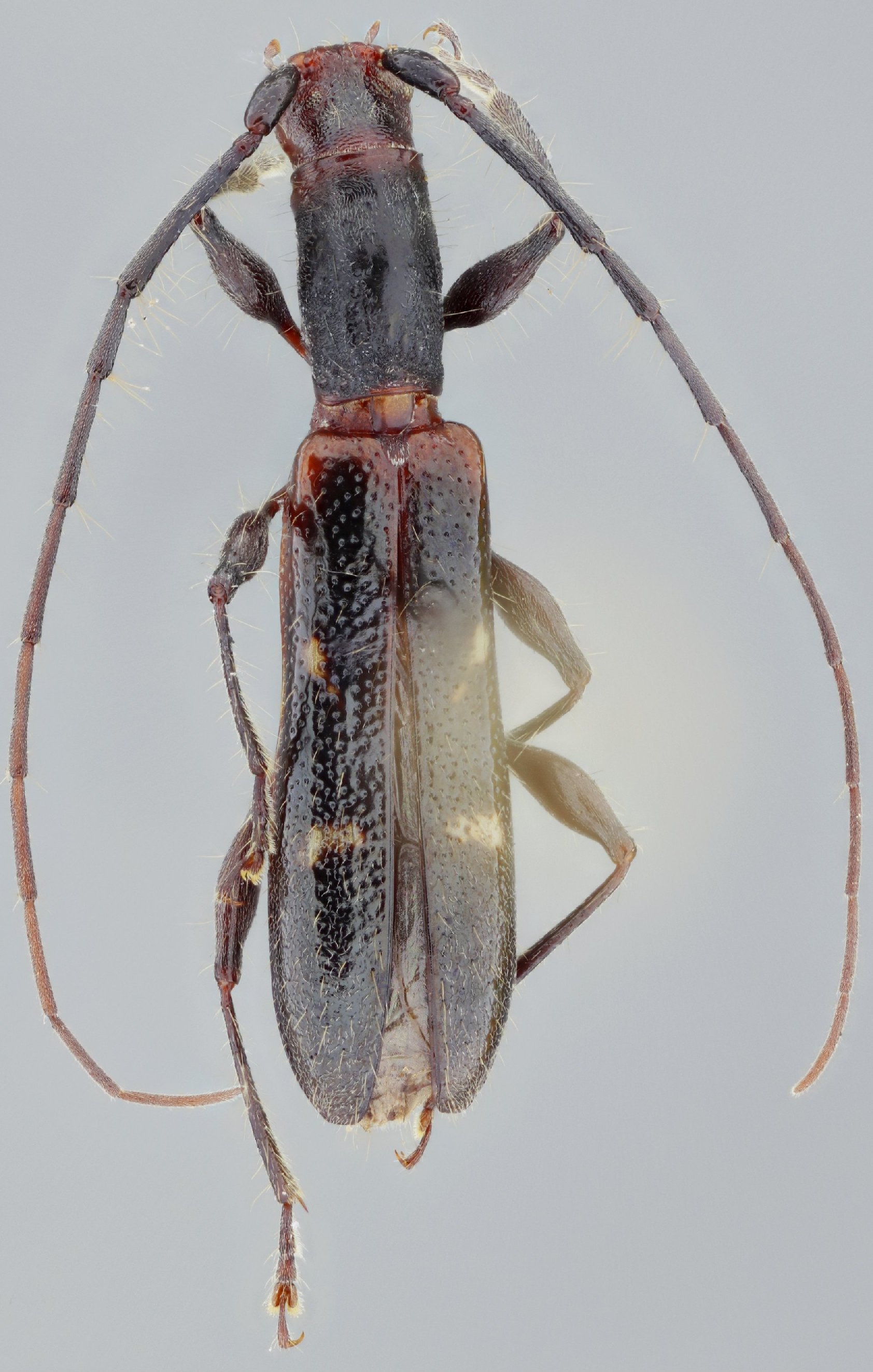
_Bez_SS_CAS_Hwy_190_5kmW_jct_rd_toSan_Dionisio_Ocotepec_Oaxaca_Mex_SS.jpg)
Specimen Type: holotype Sex: m Institution: CAS California Academy of Sciences, San Francisco, CA, USA Photographer: Antonio Santos-Silva Collection Location: Hwy 190, 5 km W jct road to San Dionisio, Ocotepec, Oaxaca, Mexico 70090
|
_Bez_SS_LGBC_Hwy_190_5kmW_jct_rd_toSan_Dionisio_Ocotepec_Oaxaca_Mex_SS.jpg)
Specimen Type: paratype Sex: m Institution: LGBC Larry G. Bezark Collection, Sacramento, California, USA Photographer: Antonio Santos-Silva Collection Location: Hwy 190, 5 km W jct road to San Dionisio, Ocotepec, Oaxaca, Mexico 70091
|
_Bez_SS_LGBC_Hwy_190_5kmW_jct_rd_toSan_Dionisio_Ocotepec_Oaxaca_Mex_SS.jpg)
Specimen Type: paratype Sex: m Institution: LGBC Larry G. Bezark Collection, Sacramento, California, USA Photographer: Antonio Santos-Silva Collection Location: Hwy 190, 5 km W jct road to San Dionisio, Ocotepec, Oaxaca, Mexico 70092
|
_Bez_SS_LGB_Hwy_190_5kmW_jct_rd_toSan_Dionisio_Ocotepec_Oaxaca_Mex_SS.jpg)
Specimen Type: paratype Sex: f Institution: LGBC Larry G. Bezark Collection, Sacramento, California, USA Photographer: Antonio Santos-Silva Collection Location: Hwy 190, 5 km W jct road to San Dionisio, Ocotepec, Oaxaca, Mexico 70093
|
_Bez_SS_LGBC_Hwy_190_5kmW_jct_rd_toSan_Dionisio_Ocotepec_Oaxaca_Mex_SS.jpg)
Specimen Type: paratype Sex: f Institution: LGBC Larry G. Bezark Collection, Sacramento, California, USA Photographer: Antonio Santos-Silva Collection Location: Hwy 190, 5 km W jct road to San Dionisio, Ocotepec, Oaxaca, Mexico 70094
|
_Bez_SS_CAS_Hwy_190_5kmW_jct_rd_toSan_Dionisio_Ocotepec_Oaxaca_Mex_SS.jpg)
Specimen Type: paratype Sex: f Institution: LGBC Larry G. Bezark Collection, Sacramento, California, USA Photographer: Antonio Santos-Silva Collection Location: Hwy 190, 5 km W jct road to San Dionisio, Ocotepec, Oaxaca, Mexico 70095
|
|