_Viktora_coll_Mt_Trus_Madi_Sabah_Borneo.jpg)
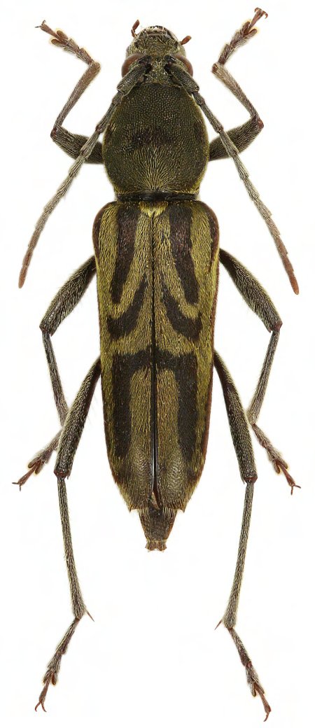
Specimen Type: holotype Sex: m Institution: Viktora Collection Photographer: Petr Viktora Collection Location: Mt Trus Madi, Sabah, Borneo 69977
|
_Viktora_coll_Mt_Trus_Madi_Sabah_Borneo.jpg)
Specimen Type: paratype Sex: f Institution: Viktora Collection Photographer: Petr Viktora Collection Location: Mt Trus Madi, Sabah, Borneo 69978
|