New Search Family, Subfamily and Tribe List

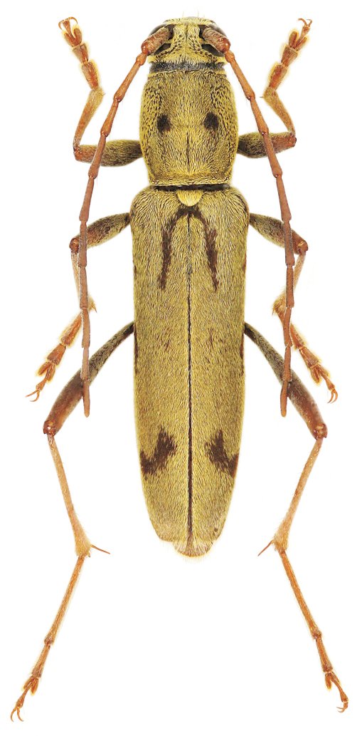
SubFamily Cerambycinae

Tribe Clytini
Rhaphuma puella Viktora 2019

Specimen Type: holotype
Sex: m
Institution: Viktora Collection
Photographer: Petr Viktora
Collection Location: Xichang, Liangshan Yi Autonomous Prefecture, Sichuan, China
69868

130425