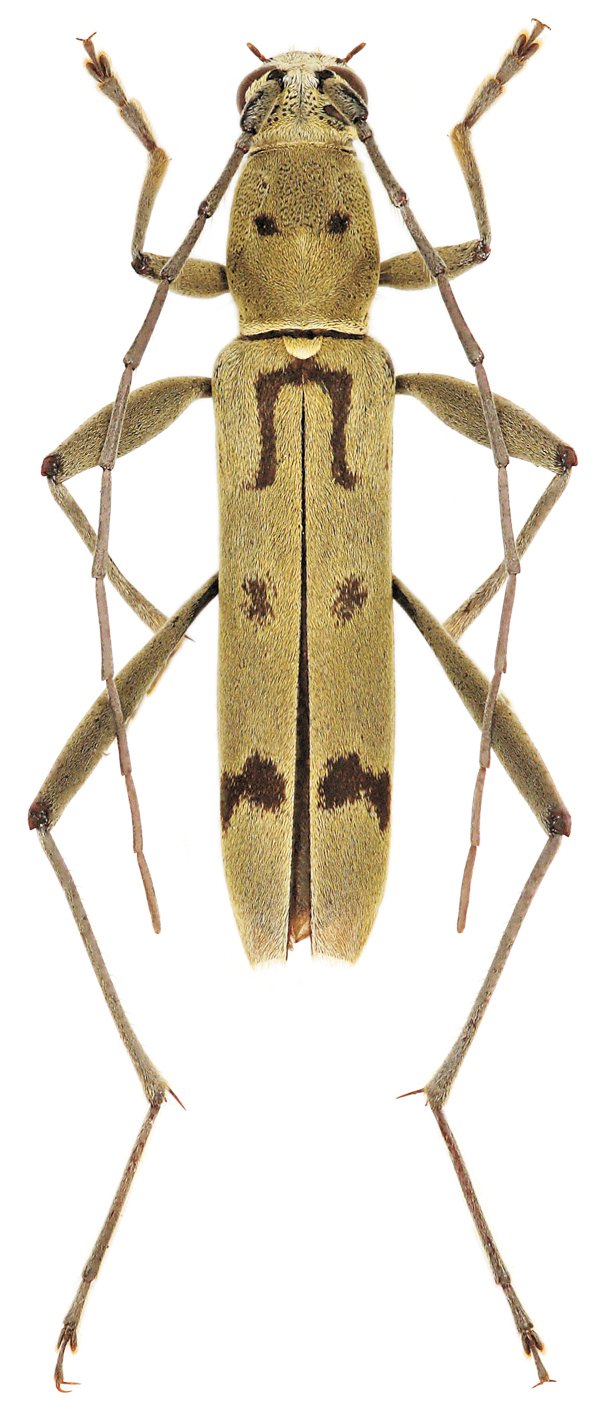
_Viktora_coll_Galabo_Village_Gaoligong_Mts_Gongshan_Co_Yunnan_China.jpg)
Specimen Type: holotype Sex: m Institution: Viktora Collection Photographer: Petr Viktora Collection Location: Galabo Village, Gaoligong Mts, Gongshan County, Yunnan, China 69866
|
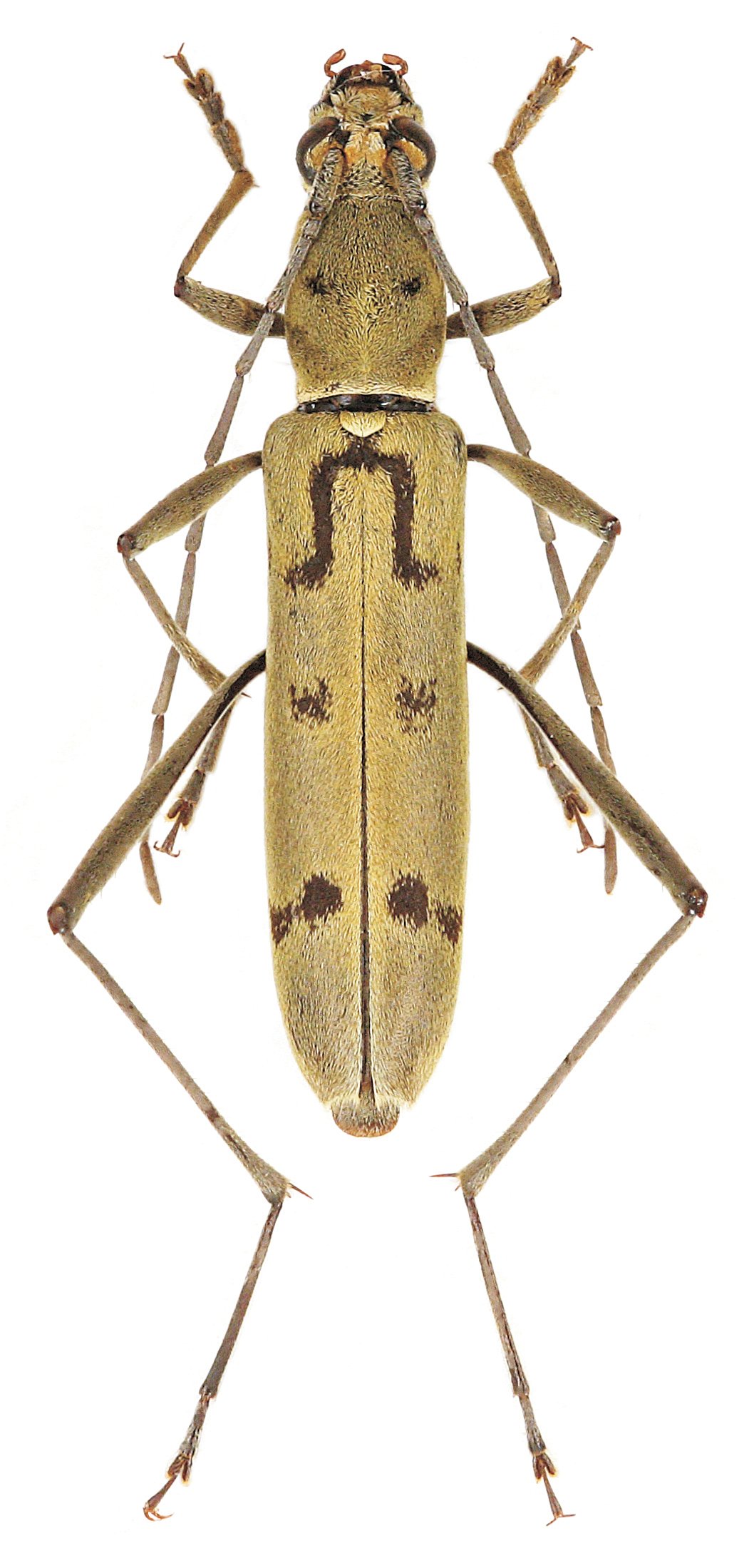
_Viktora_coll_Galabo_Village_Gaoligong_Mts_Gongshan_Co_Yunnan_China.jpg)
Specimen Type: paratype Sex: f Institution: Viktora Collection Photographer: Petr Viktora Collection Location: Galabo Village, Gaoligong Mts, Gongshan County, Yunnan, China 69867
|