New Search Family, Subfamily and Tribe List

SubFamily Cerambycinae

Tribe Clytini
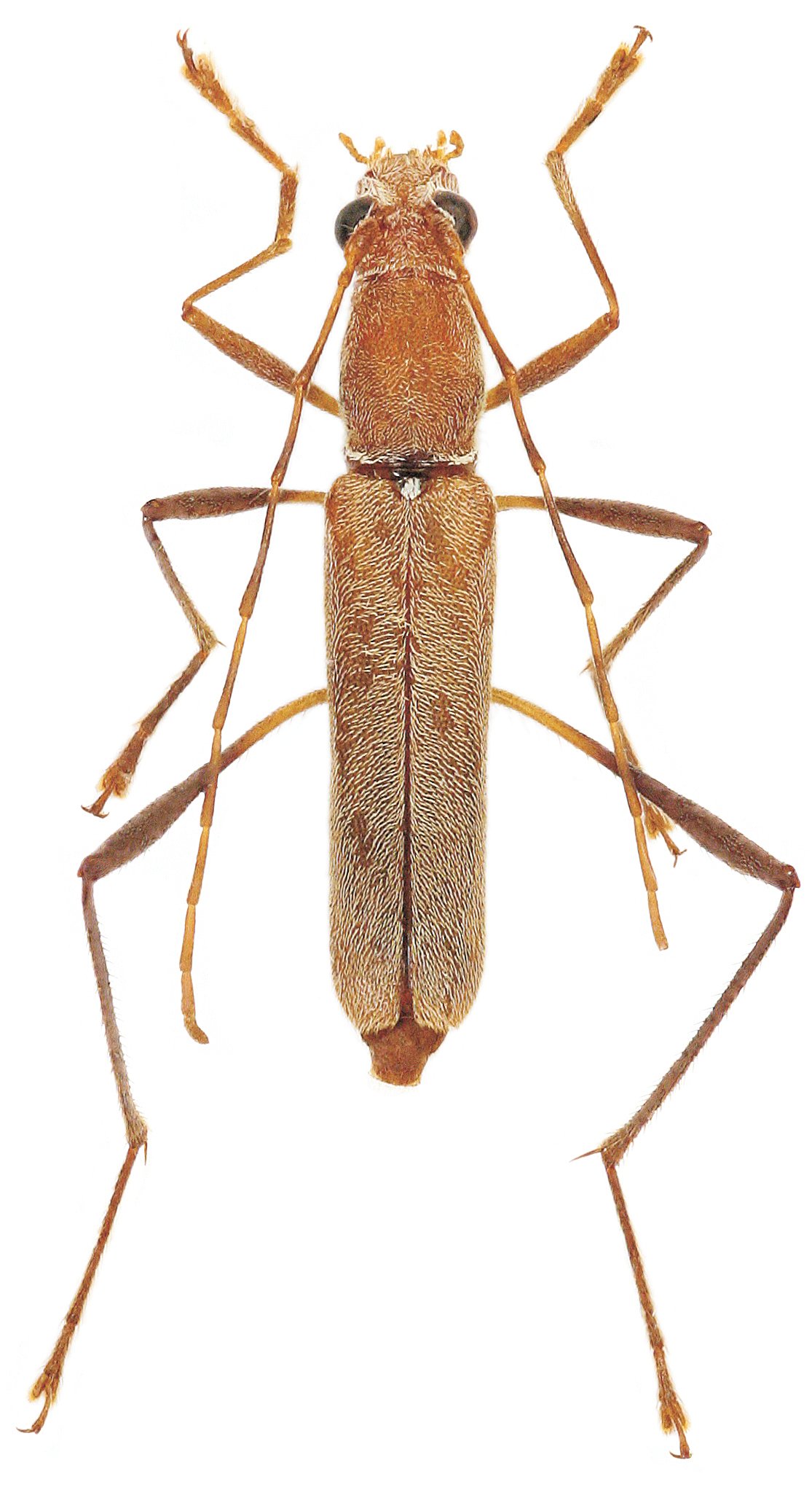
Rhaphuma heres Viktora 2019

Specimen Type: holotype
Sex: f
Institution: Viktora Collection
Photographer: Petr Viktora
Collection Location: Dak Lak Province, Vietnam
69865

130425