New Search Family, Subfamily and Tribe List

SubFamily Cerambycinae

Tribe Clytini
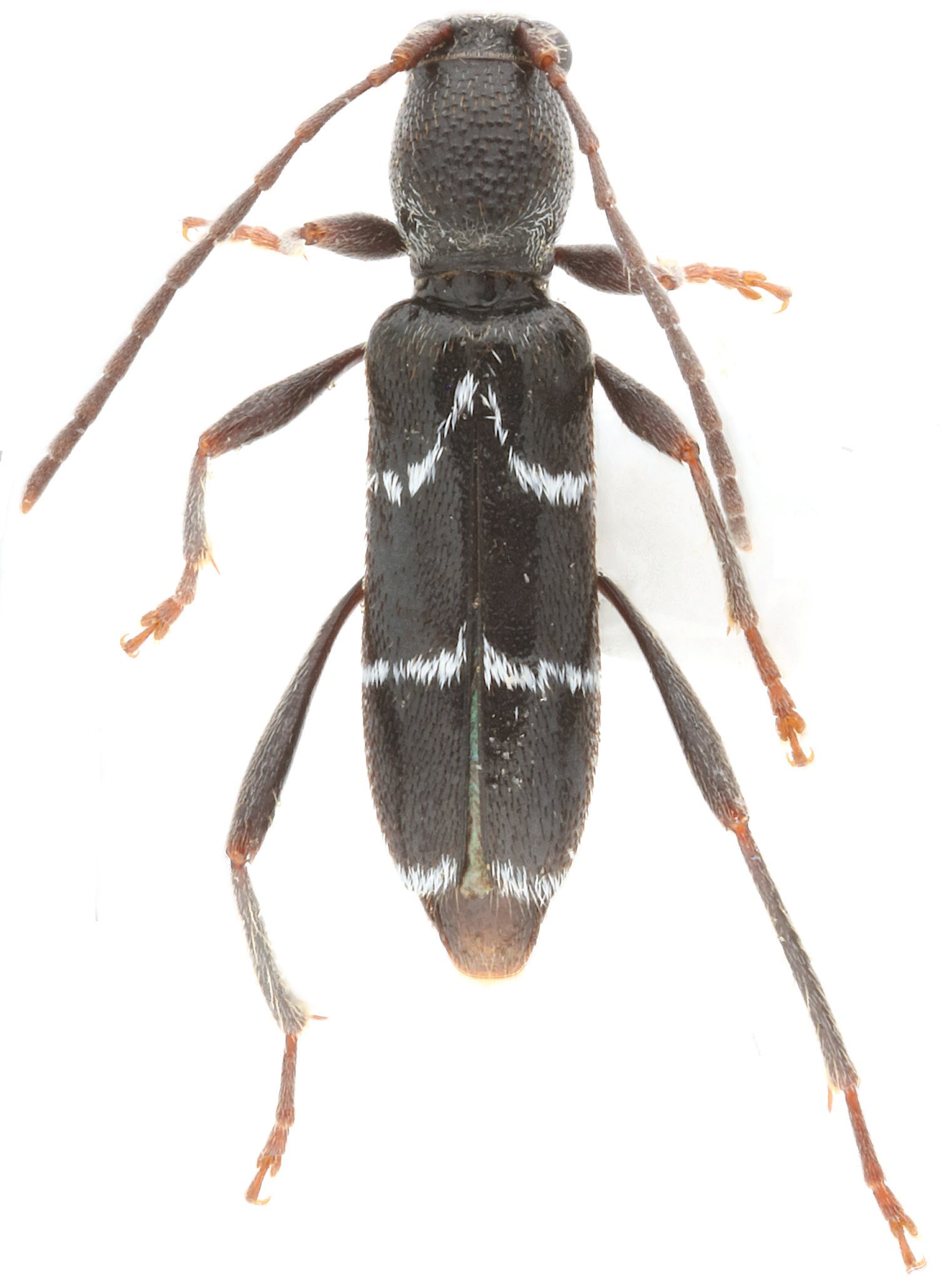
Amamiclytus wuxingensis Yang & Wang 2019

Specimen Type: holotype
Sex: m
Institution: SNUC Insect Collection of Shanghai Normal University, Shanghai, China
Collection Location: Wuxing Village, Leishan County, Guizhou Province, China
69947

130425