New Search Family, Subfamily and Tribe List

SubFamily Cerambycinae

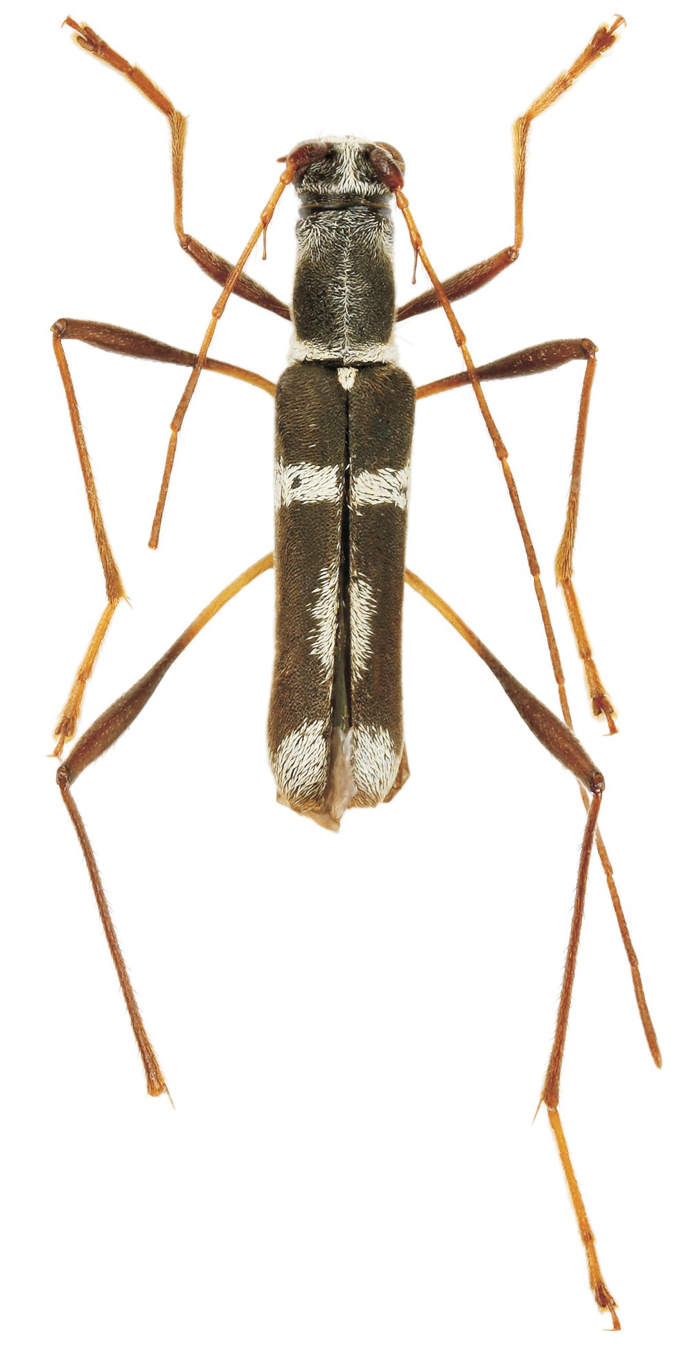
Tribe Clytini
Psilomerus pulex Viktora 2019

Specimen Type: holotype
Sex: m
Institution: Viktora Collection
Photographer: Petr Viktora
Collection Location: Kipandi Park, Crocker Range, Sabah, Borneo
69854

130425