_Viktora_coll_Kipandi_Park_Crocker_Range_Sabah_Malaysia.jpg)
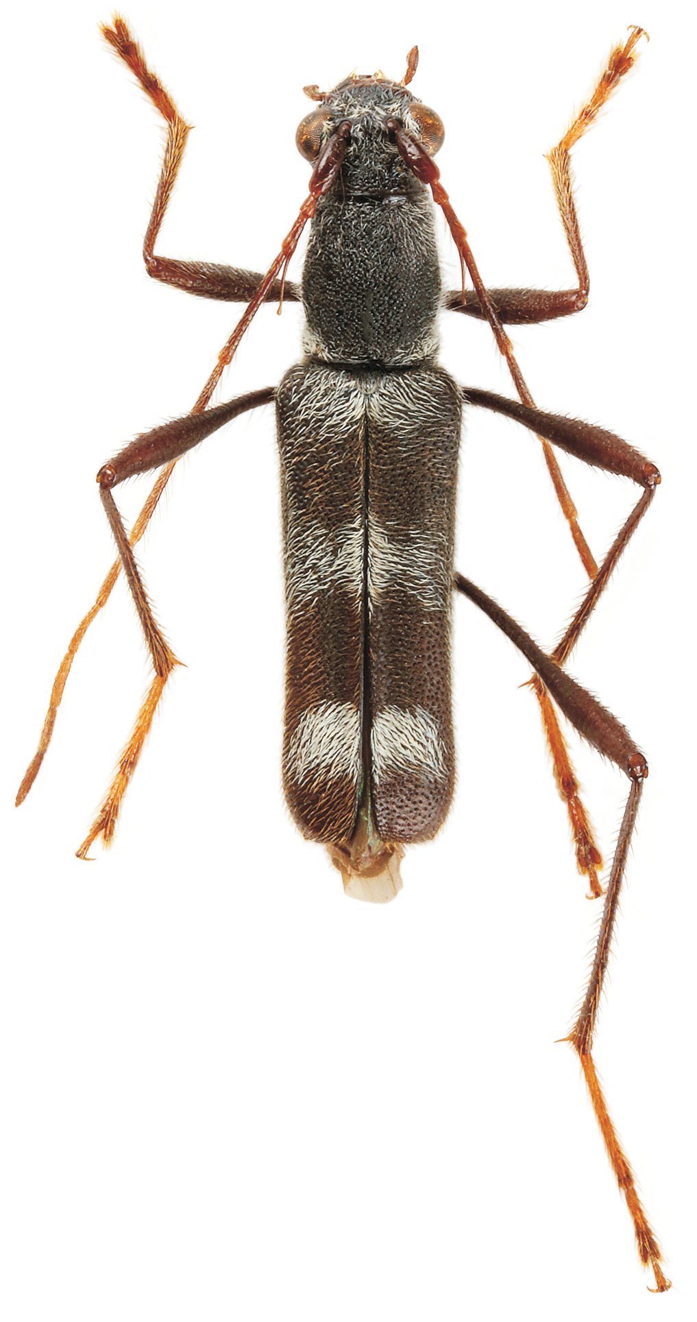
Specimen Type: holotype Sex: m Institution: Viktora Collection Photographer: Petr Viktora Collection Location: Kipandi Park, Crocker Range, Sabah, Borneo 69852
|
_Viktora_DJH_Crocker_Range_Sabah_Malaysia.jpg)
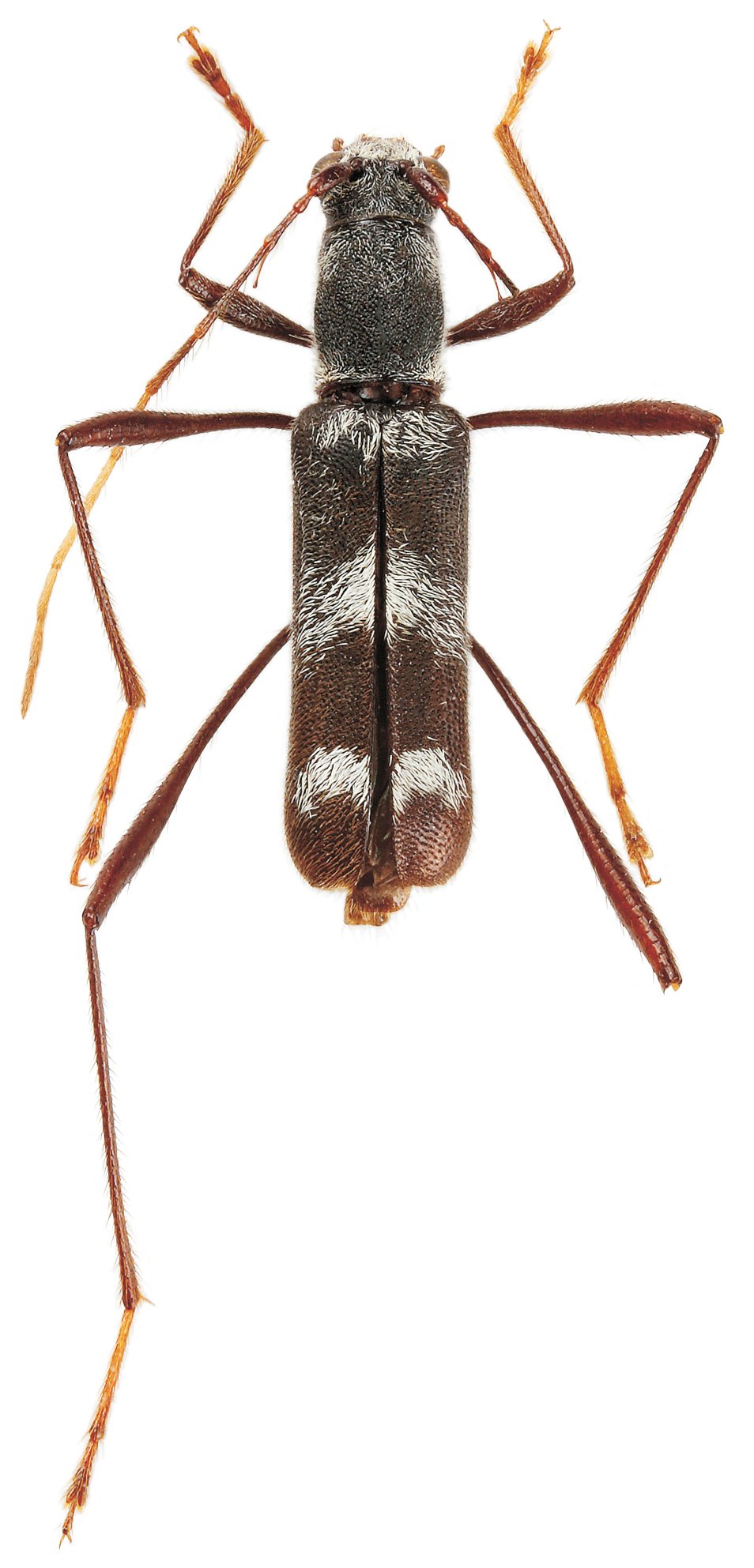
Specimen Type: paratype Sex: f Institution: Viktora Collection Photographer: Petr Viktora Collection Location: Kipandi Park, Crocker Range, Sabah, Borneo 69853
|