New Search Family, Subfamily and Tribe List

SubFamily Cerambycinae

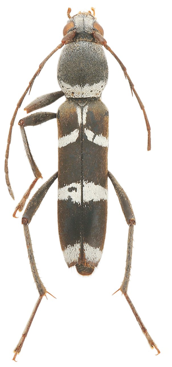
Tribe Clytini
Demonax vitreus Viktora 2019

Specimen Type: holotype
Sex: f
Institution: Viktora Collection
Photographer: Petr Viktora
Collection Location: Seko, South Sulawesi, Indonesia
69851

130425