New Search Family, Subfamily and Tribe List

SubFamily Cerambycinae

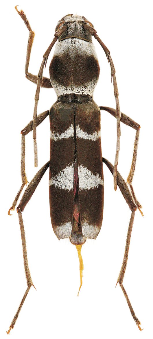
Tribe Clytini
Demonax sumbaensis Viktora 2019

Specimen Type: holotype
Sex: f
Institution: Viktora Collection
Photographer: Petr Viktora
Collection Location: Langarillu Village, Sumba Island, Indonesia
69850

130425