_Viktora_coll_13kmN_Sen_Monorom_Mondulkiri_Prov_E_Cambodia.jpg)
Specimen Type: holotype Sex: m Institution: Viktora Collection Photographer: Petr Viktora Collection Location: 13 km N Sen Monorom, Mondulkiri Provkince, E Cambodia 69848
|
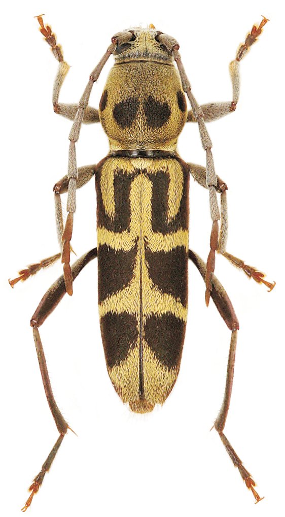
_Viktora_coll_13kmN_Sen_Monorom_Mondulkiri_Prov_E_Cambodia.jpg)
Specimen Type: paratype Sex: f Institution: Viktora Collection Photographer: Petr Viktora Collection Location: 13 km N Sen Monorom, Mondulkiri Provkince, E Cambodia 69849
|