New Search
Family, Subfamily and Tribe List
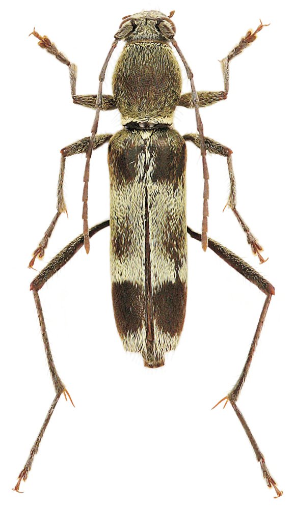
SubFamily
Cerambycinae
Tribe
Clytini
Demonax dactylogramma
Viktora 2019
Specimen Type:
holotype
Sex:
f
Institution:
Viktora Collection
Photographer:
Petr Viktora
Collection Location:
Ngoc Linh, Kon Tum Province, Vietnam
69843
130425