_Nasc_SS_MZSP_Camping_Tambo_Tanda_Pichincha_EC_SS.jpg)
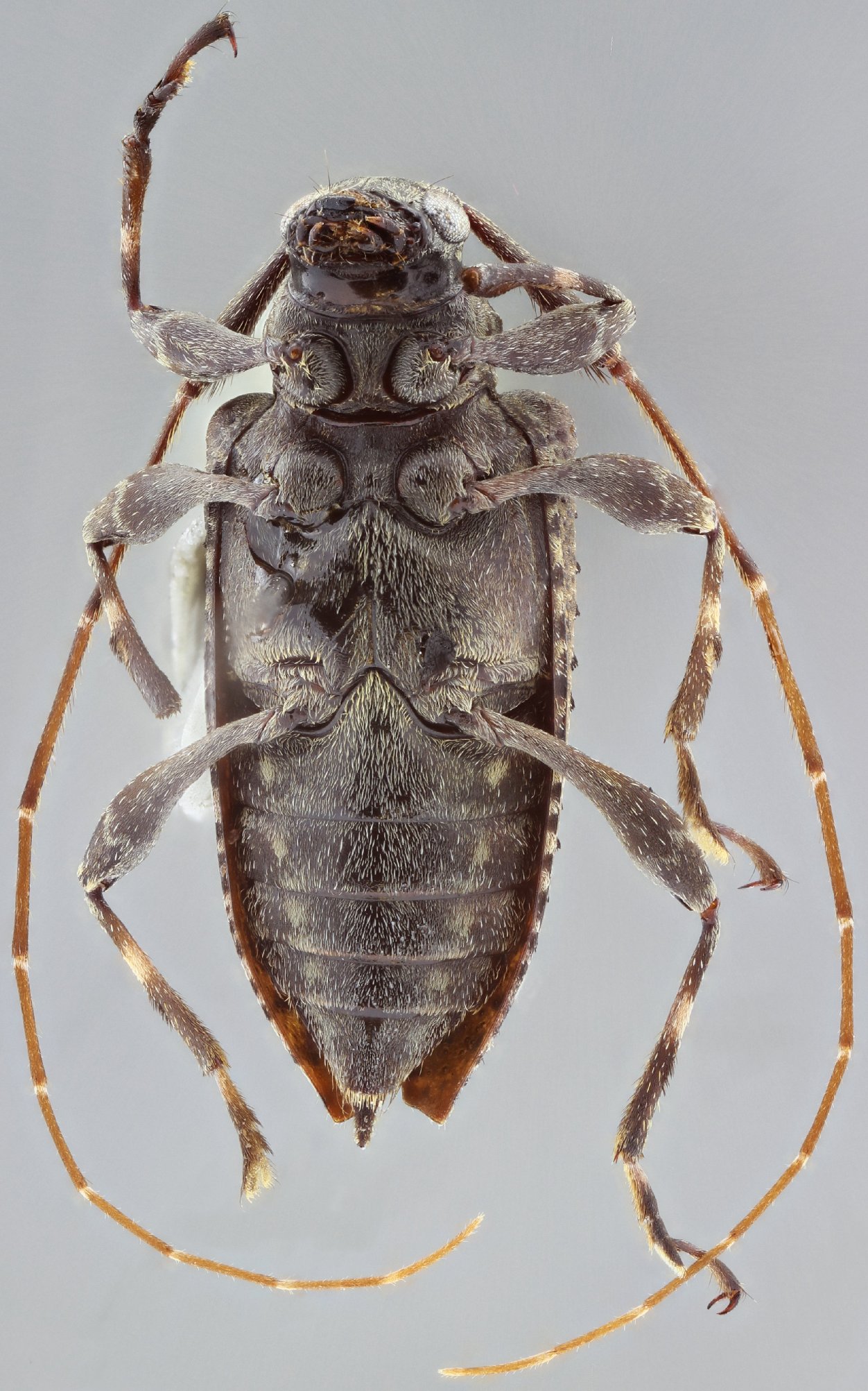
Specimen Type: holotype Sex: f Institution: MZSP Museu de Zoologia da Universidade de São Paulo, Brazil Photographer: Antonio Santos-Silva Collection Location: Camping Tambo Tanda, Pichincha, Ecuador 69265
|
_Nasc_SS_MZSP_Camping_Tambo_Tanda_Pichincha_EC_SS.jpg)
Specimen Type: holotype Sex: f Institution: MZSP Museu de Zoologia da Universidade de São Paulo, Brazil Photographer: Antonio Santos-Silva Collection Location: Camping Tambo Tanda, Pichincha, Ecuador 69266
|
_Nasc_SS_MZSP_Camping_Tambo_Tanda_Pichincha_EC_SS.jpg)
Specimen Type: holotype Sex: f Institution: MZSP Museu de Zoologia da Universidade de São Paulo, Brazil Photographer: Antonio Santos-Silva Collection Location: Camping Tambo Tanda, Pichincha, Ecuador 69267
|
_Nasc_SS_MZSP_Camping_Tambo_Tanda_Pichincha_EC_SS.jpg)
Specimen Type: holotype Sex: f Institution: MZSP Museu de Zoologia da Universidade de São Paulo, Brazil Photographer: Antonio Santos-Silva Collection Location: Camping Tambo Tanda, Pichincha, Ecuador 69268
|
|