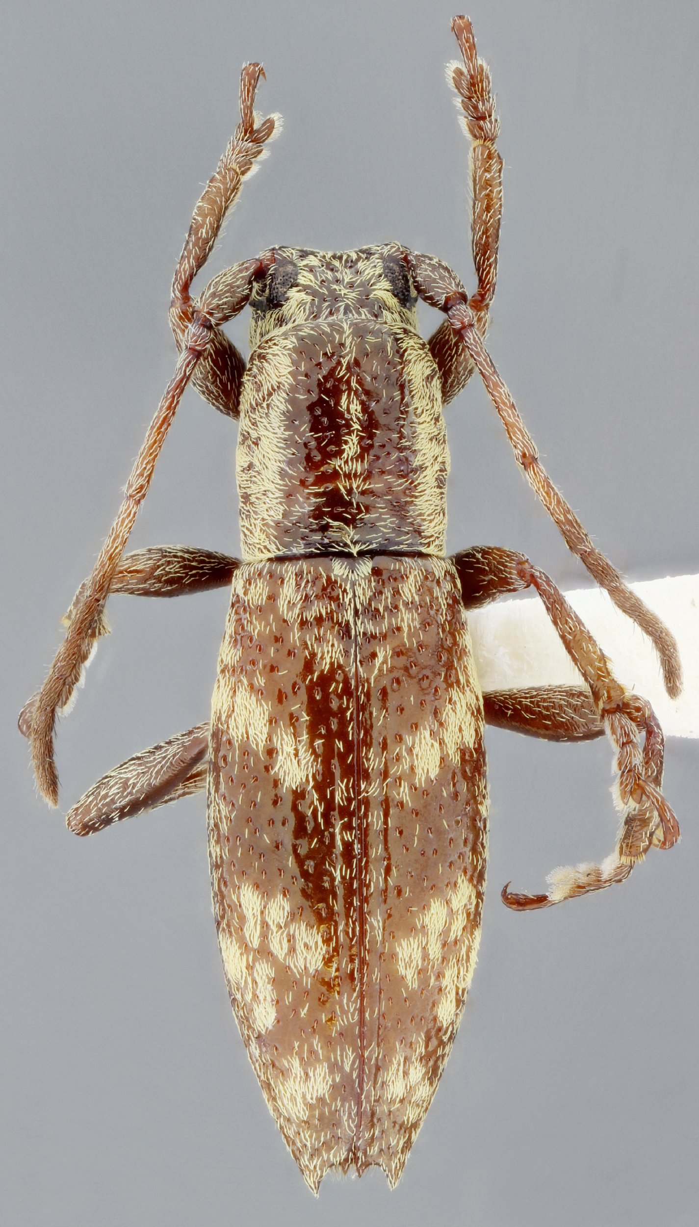
_SS_Nasc_Wapp_TAMU_2miN_SanJose_delPacifico_OA_Mex_SS.jpg)
Specimen Type: holotype Sex: m Institution: TAMU Texas A & M University, College Station, Texas, USA Photographer: Antonio Santos-Silva Collection Location: 2 mi N San Jose del Pacifico, Oaxaca, Mexico 77082
|
_SS_Nasc_Wapp_TAMU_2miN_SanJose_delPacifico_OA_Mex_SS.jpg)
Specimen Type: holotype Sex: m Institution: TAMU Texas A & M University, College Station, Texas, USA Photographer: Antonio Santos-Silva Collection Location: 2 mi N San Jose del Pacifico, Oaxaca, Mexico 77083
|
_SS_Nasc_Wapp_TAMU_2miN_SanJose_delPacifico_OA_Mex_SS.jpg)
Specimen Type: holotype Sex: m Institution: TAMU Texas A & M University, College Station, Texas, USA Photographer: Antonio Santos-Silva Collection Location: 2 mi N San Jose del Pacifico, Oaxaca, Mexico 77084
|
_SS_Nasc_Wapp_TAMU_2miN_SanJose_delPacifico_OA_Mex_SS.jpg)
Specimen Type: holotype Sex: m Institution: TAMU Texas A & M University, College Station, Texas, USA Photographer: Antonio Santos-Silva Collection Location: 2 mi N San Jose del Pacifico, Oaxaca, Mexico 77085
|
|