New Search Family, Subfamily and Tribe List

SubFamily Cerambycinae

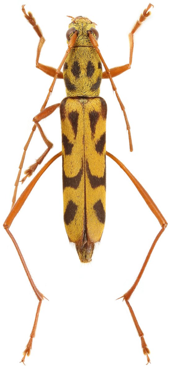
Tribe Clytini
Rhaphuma margarita Viktora 2019

Specimen Type: holotype
Sex: f
Institution: Viktora Collection
Photographer: Roman Hergovits
Collection Location: Dak Lak, Vietnam
69027

130425