New Search Family, Subfamily and Tribe List

SubFamily Cerambycinae

Tribe Clytini
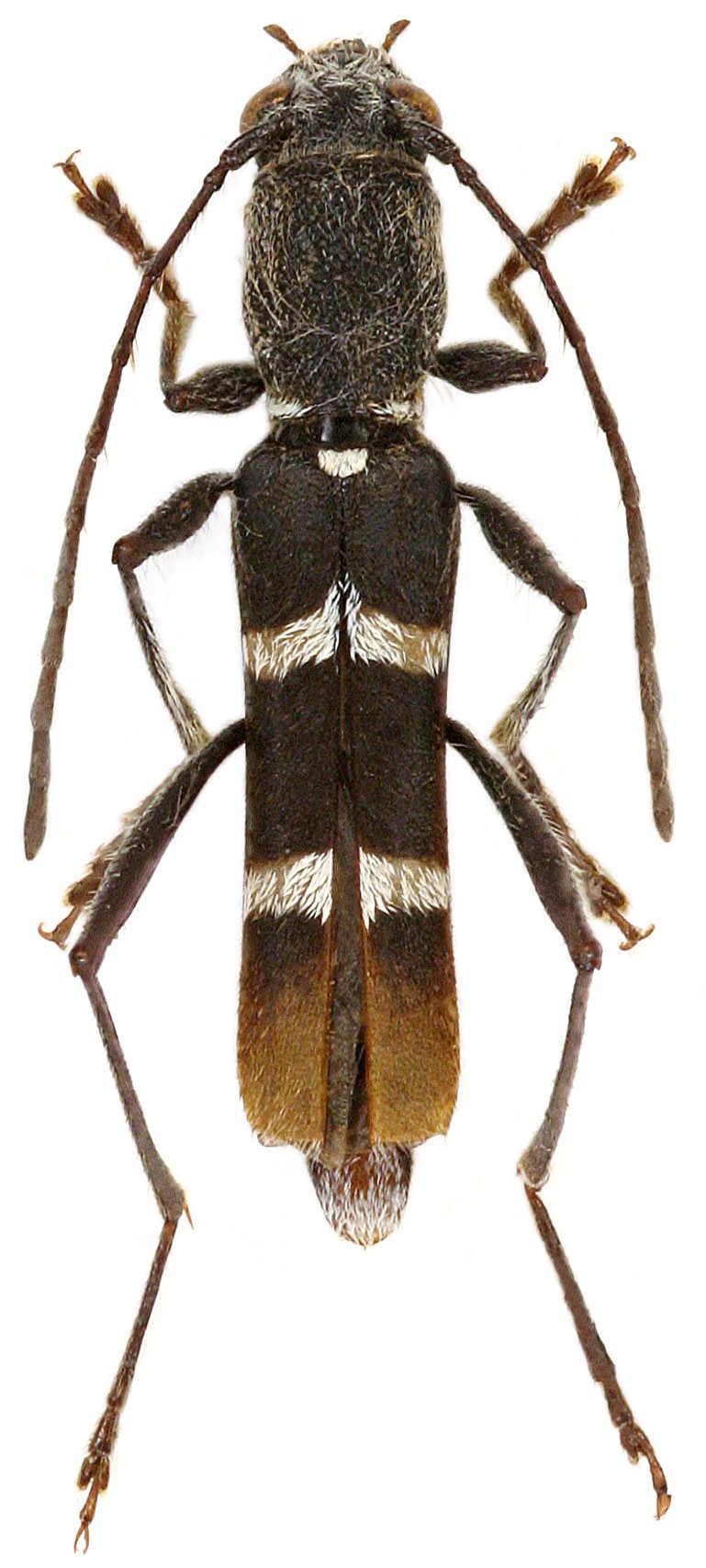
Ischnodora victima Viktora 2019

Specimen Type: holotype
Sex: m
Institution: Viktora Collection
Photographer: Roman Hergovits
Collection Location: Cao Bang, Vietnam
69023

130425