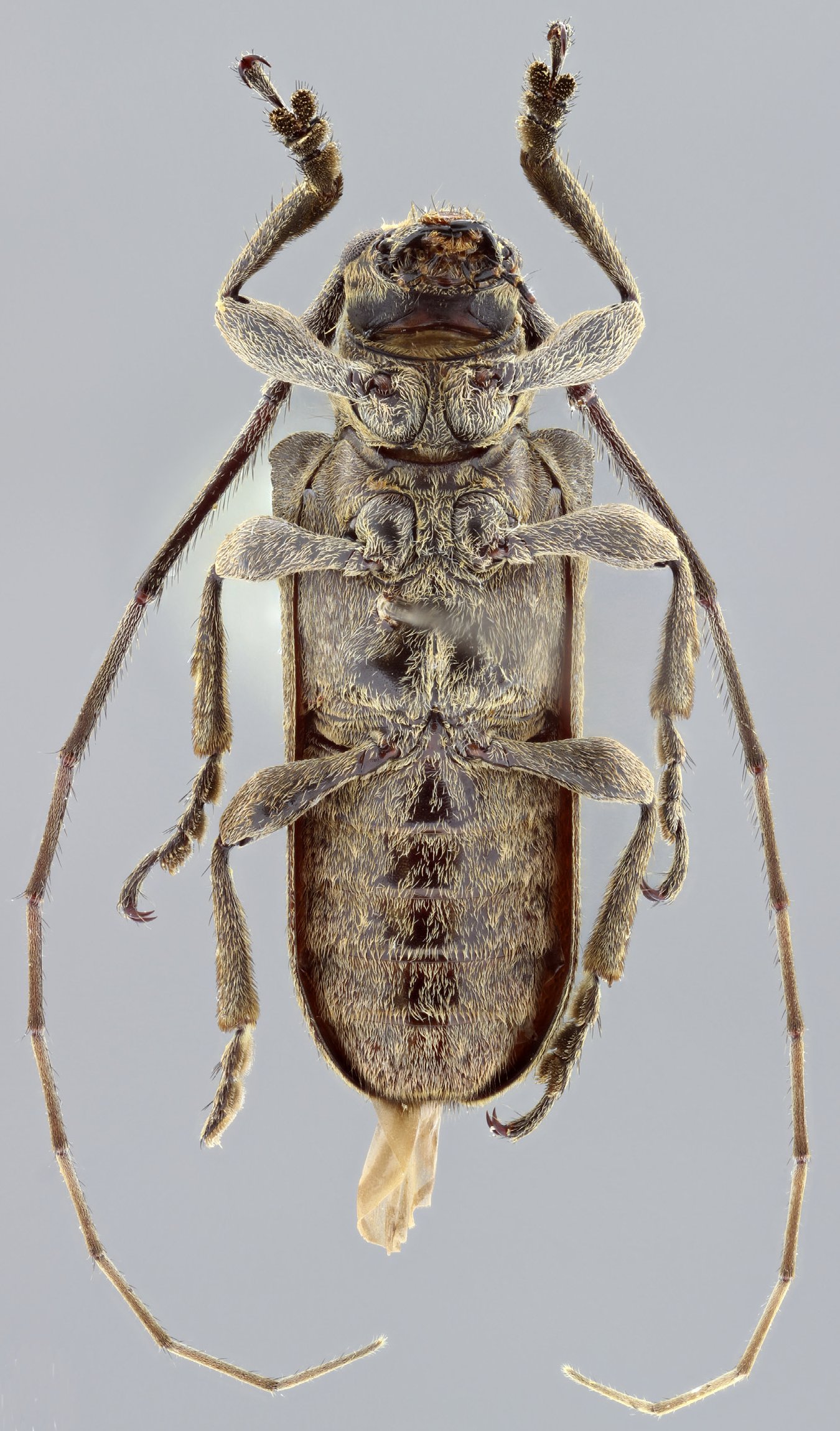
_Nearns_Nasc_MZSP_Termales_de_San_Vincente_Risaralda_Colombia_GN.jpg)
Specimen Type: holotype Sex: m Institution: MZSP Museu de Zoologia da Universidade de São Paulo, Brazil Photographer: Gino Nearns Collection Location: Termales de San Vincente, Risaralda, Colombia 68819
|
_Nearns_Nasc_MZSP_Termales_de_San_Vincente_Risaralda_Colombia_GN.jpg)
Specimen Type: holotype Sex: m Institution: MZSP Museu de Zoologia da Universidade de São Paulo, Brazil Photographer: Gino Nearns Collection Location: Termales de San Vincente, Risaralda, Colombia 68820
|
_Nearns_Nasc_MZSP_Termales_de_San_Vincente_Risaralda_Colombia_GN.jpg)
Specimen Type: holotype Sex: m Institution: MZSP Museu de Zoologia da Universidade de São Paulo, Brazil Photographer: Gino Nearns Collection Location: Termales de San Vincente, Risaralda, Colombia 68821
|
_Nearns_Nasc_MZSP_Termales_de_San_Vincente_Risaralda_Colombia_GN.jpg)
Specimen Type: holotype Sex: m Institution: MZSP Museu de Zoologia da Universidade de São Paulo, Brazil Photographer: Gino Nearns Collection Location: Termales de San Vincente, Risaralda, Colombia 68823
|
_Nearns_Nasc_MZSP_Termales_de_San_Vincente_Risaralda_Colombia_GN.jpg)
Specimen Type: holotype Sex: m Institution: MZSP Museu de Zoologia da Universidade de São Paulo, Brazil Photographer: Gino Nearns Collection Location: Termales de San Vincente, Risaralda, Colombia 68822
|
|