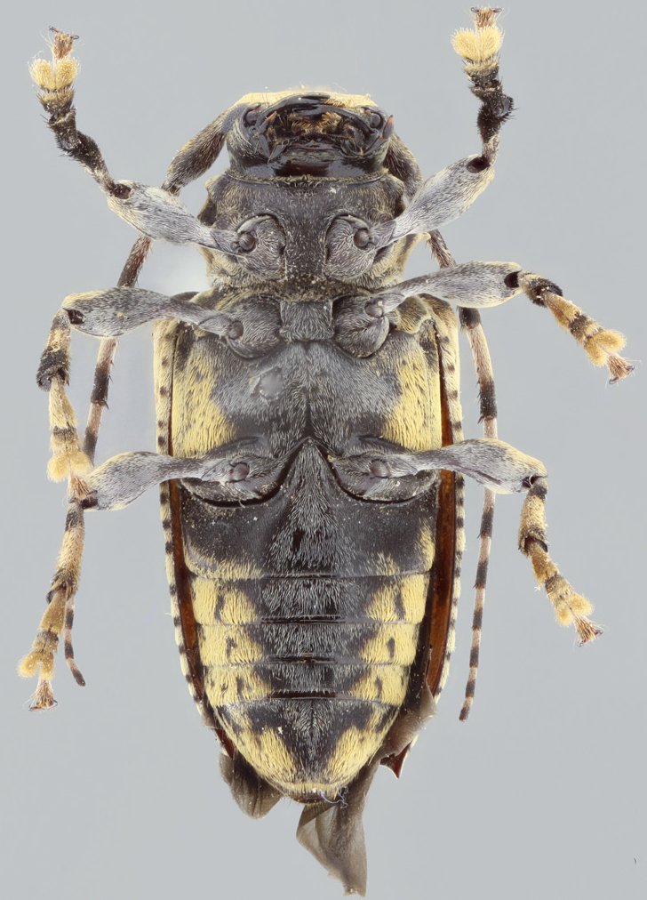
_Garcia_Nasc_Hernandez_MPUJ_Reserva_La_Flecha_San_Jacinto_Bolivar_Col.jpg)
Psapharochrus auratus Garcia Specimen Type: holotype Sex: f Institution: Pontificia Universidad Javeriana, Bogota, Colombia Photographer: Francisco Nascimento Collection Location: Reserva La Flecha, San Jacinto, Bolivar, Colombia 68619
|
_Garcia_Nasc_Hernandez_MPUJ_Reserva_La_Flecha_San_Jacinto_Bolivar_Col.jpg)
Psapharochrus auratus Garcia Specimen Type: holotype Sex: f Institution: Pontificia Universidad Javeriana, Bogota, Colombia Photographer: Francisco Nascimento Collection Location: Reserva La Flecha, San Jacinto, Bolivar, Colombia 68620
|
_Garcia_Nasc_Hernandez_MPUJ_Reserva_La_Flecha_San_Jacinto_Bolivar_Col.jpg)
Psapharochrus auratus Garcia Specimen Type: holotype Sex: f Institution: Pontificia Universidad Javeriana, Bogota, Colombia Photographer: Francisco Nascimento Collection Location: Reserva La Flecha, San Jacinto, Bolivar, Colombia 68621
|
_Garcia_Nasc_Hernandez_MPUJ_Reserva_La_Flecha_San_Jacinto_Bolivar_Col.jpg)
Psapharochrus auratus Garcia Specimen Type: holotype Sex: f Institution: Pontificia Universidad Javeriana, Bogota, Colombia Photographer: Francisco Nascimento Collection Location: Reserva La Flecha, San Jacinto, Bolivar, Colombia 68622
|
_Garcia_Nasc_Hernandez_UARC_Usiacuri_Res_Campesina_La_Montana_Atlantico_Col.jpg)
Psapharochrus auratus Garcia Specimen Type: paratype Sex: m Institution: Univ del Atlántico Reg Caribe, Atlántico, Colombia Photographer: Francisco Nascimento Collection Location: Usiacuri, Reserva Campesina La Montana, Atlantico, Colombia 68623
|
_Garcia_Nasc_Hernandez_UARC_Usiacuri_Res_Campesina_La_Montana_Atlantico_Col.jpg)
Psapharochrus auratus Garcia Specimen Type: paratype Sex: m Institution: Univ del Atlántico Reg Caribe, Atlántico, Colombia Photographer: Francisco Nascimento Collection Location: Usiacuri, Reserva Campesina La Montana, Atlantico, Colombia 68624
|
_Garcia_Nasc_Hernandez_UARC_Usiacuri_Res_Campesina_La_Montana_Atlantico_Col.jpg)
Psapharochrus auratus Garcia Specimen Type: paratype Sex: m Institution: Univ del Atlántico Reg Caribe, Atlántico, Colombia Photographer: Francisco Nascimento Collection Location: Usiacuri, Reserva Campesina La Montana, Atlantico, Colombia 68625
|
_Garcia_Nasc_Hernandez_UARC_Usiacuri_Res_Campesina_La_Montana_Atlantico_Col.jpg)
Psapharochrus auratus Garcia Specimen Type: paratype Sex: m Institution: Univ del Atlántico Reg Caribe, Atlántico, Colombia Photographer: Francisco Nascimento Collection Location: Usiacuri, Reserva Campesina La Montana, Atlantico, Colombia 68626
|
|