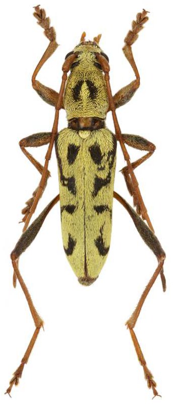
_Vikt_Tichy_Jinxiu_Dayaoshan_Pingban_Guangxi_China_nowPetraphuma.jpg)
Rhaphuma meridiosinica Viktora & Tichy Specimen Type: holotype Sex: m Institution: Tichy Collection Photographer: Petr Viktora Collection Location: Jinxiu, Dayaoshan, Pingban, Guangxi, China 70153
|
_Vikt_Tichy_coll_Pingban_Jinxiu_Dayaoshan_Guangxi_China_now_Petraphuma.jpg)
Rhaphuma meridiosinica Viktora & Tichy Specimen Type: paratype Sex: f Institution: Tichy Collection Photographer: Petr Viktora Collection Location: Jinxiu, Dayaoshan, Pingban, Guangxi, China 70164
|