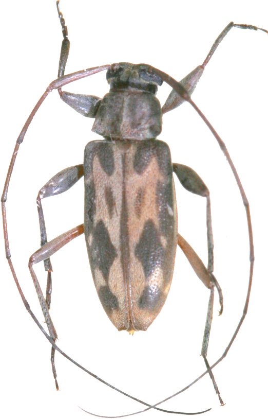
_Audureau_Reserva_El_Jaguar_San_Rafael_del_Norte_Jinotega_Nicaragua.jpg)
Specimen Type: holotype Sex: m Institution: Audureau Collection Photographer: Alain Audureau Collection Location: Reserva El Jaguar, San Rafael del Norte, Jinotega, Nicaragua 68076
|
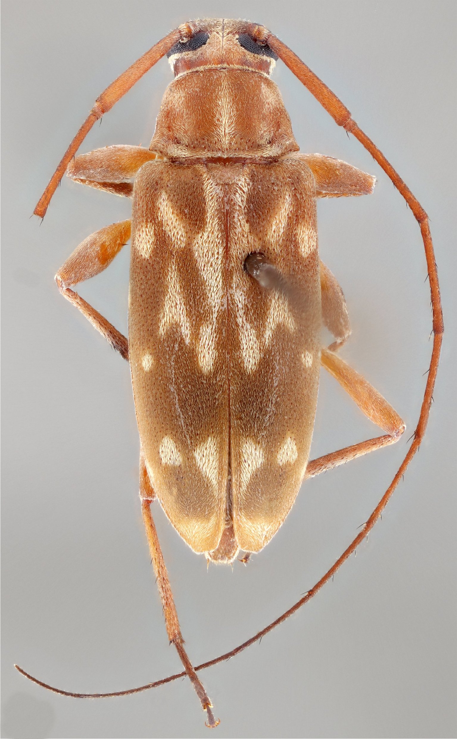
_SS_Nasc_Koz_MZSP_road_Minka-Cerro_Kenedy_Magdalena_Col_SS.jpg)
Lepturges brechlini Santos-Silva, Nascimento & Kozlov Specimen Type: holotype Sex: m Institution: MZSP Museu de Zoologia da Universidade de São Paulo, Brazil Photographer: Antonio Santos-Silva Collection Location: road from Minka-Cerro, Kenedy, Magdalena, Colombia 69001
|
_SS_Nasc_Koz_MZSP_road_Minka-Cerro_Kenedy_Magdalena_Col_SS.jpg)
Lepturges brechlini Santos-Silva, Nascimento & Kozlov Specimen Type: holotype Sex: m Institution: MZSP Museu de Zoologia da Universidade de São Paulo, Brazil Photographer: Antonio Santos-Silva Collection Location: road from Minka-Cerro, Kenedy, Magdalena, Colombia 69004
|
_SS_Nasc_Koz_MZSP_road_Minka-Cerro_Kenedy_Magdalena_Col_SS.jpg)
Lepturges brechlini Santos-Silva, Nascimento & Kozlov Specimen Type: holotype Sex: m Institution: MZSP Museu de Zoologia da Universidade de São Paulo, Brazil Photographer: Antonio Santos-Silva Collection Location: road from Minka-Cerro, Kenedy, Magdalena, Colombia 69002
|
_SS_Nasc_Koz_MZSP_road_Minka-Cerro_Kenedy_Magdalena_Col_SS.jpg)
Lepturges brechlini Santos-Silva, Nascimento & Kozlov Specimen Type: holotype Sex: m Institution: MZSP Museu de Zoologia da Universidade de São Paulo, Brazil Photographer: Antonio Santos-Silva Collection Location: road from Minka-Cerro, Kenedy, Magdalena, Colombia 69003
|
 Audureau Fortuna Cabins, Ngabe-Bugle, Panama SS.jpg)
Sex: m Photographer: Antonio Santos-Silva Collection Location: 8 km N Jalapa, Nueva Segovia, Nicaragua 95319
|
 Audureau 8 km N Jalapa, Nueva Segovia, Nicaragua SS.jpg)
Sex: f Photographer: Antonio Santos-Silva Collection Location: Fortuna Cabins, Ngäbe-Buglé, Panama 95320
|
 Audureau 8 km N Jalapa, Nueva Segovia, Nicaragua SS.jpg)
Sex: f Photographer: Antonio Santos-Silva Collection Location: Fortuna Cabins, Ngäbe-Buglé, Panama 95321
|
 Audureau Fortuna Cabins, Ngabe-Bugle, Panama SS.jpg)
Sex: m Photographer: Antonio Santos-Silva Collection Location: 8 km N Jalapa, Nueva Segovia, Nicaragua 95322
|
 Audureau CSCA Puerto La Cruz, Anzoategui, Venezuela SS.jpg)
Sex: f Institution: CSCA California State Collection of Arthropods, Sacramento, California Photographer: Antonio Santos-Silva Collection Location: Puerto La Cruz, Anzoategui, Venezuela 101272
|
|