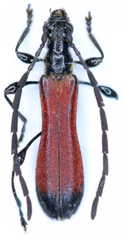
 Vives coll Heff Crocker Range, Sabah, Borneo LD.jpg)
Specimen Type: holotype Sex: m Institution: Vives Collection Photographer: Lubo Dembický Collection Location: Crocker Range, Sabah, Borneo 89678
|
 Vives coll Heff Crocker Range, Sabah, Borneo LD.jpg)
Specimen Type: paratype Sex: f Institution: Vives Collection Photographer: Lubo Dembický Collection Location: Crocker Range, Sabah, Borneo 89679
|

Specimen Type: maybe this taxon Photographer: Sergei Troccoli, Cerambycoidea Forum Determiner: Xavier Gouverneur, Cerambycoidea Forum Collection Location: Mt Bawang, Kalimantan 79717
|
|