_Holzschuh_Coll_6kmE_Xunyangba_Qiling_Shan_Shaanxi_China_LD.jpg)
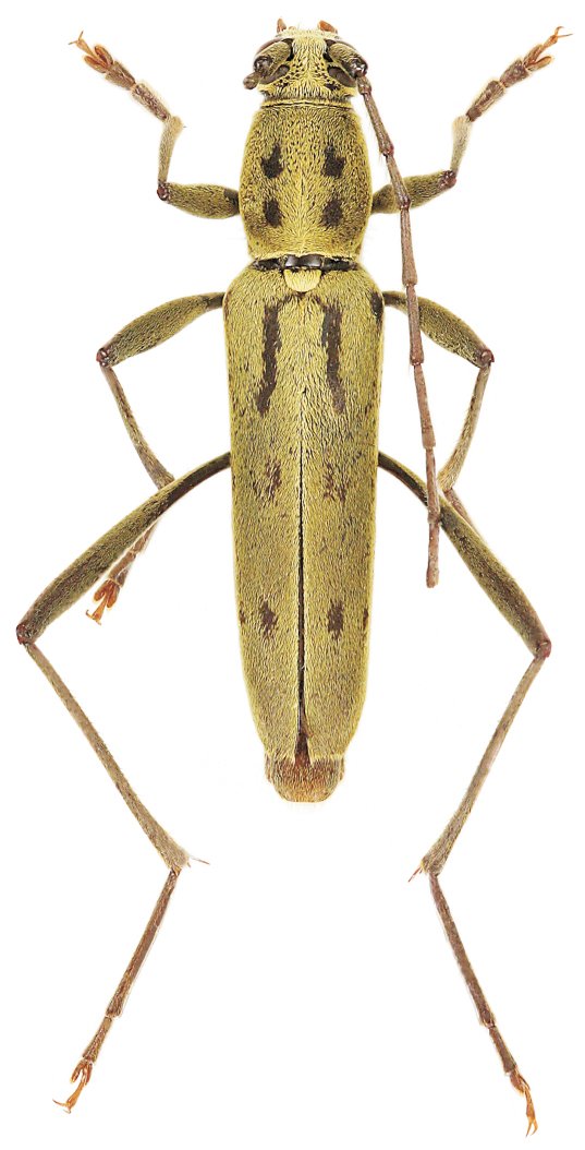
Specimen Type: holotype Sex: m Institution: Holzschuh Collection Photographer: Lubo Dembický Collection Location: 6 km E Xunyangba, Qiling Shan, Shaanxi Province, China 71318
|
_Holzschuh_Coll_6kmE_Xunyangba_Qiling_Shan_Shaanxi_China_LD.jpg)
Specimen Type: paratype Sex: f Institution: Holzschuh Collection Photographer: Lubo Dembický Collection Location: 6 km E Xunyangba, Qiling Shan, Shaanxi Province, China 71319
|