_Holzschuh_coll_Xiling_Snow_Mtns_C_Sichuan_Prov_China_Lubos.jpg)
Specimen Type: holotype Sex: m Institution: Holzschuh Collection Photographer: Lubo Dembický Collection Location: Xiling Snow Mountains, C Sichuan Province, China 67166
|
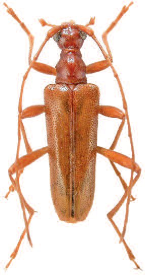
_Holzschuh_coll_Xiling_Snow_Mtns_C_Sichuan_Prov_China_Lubos.jpg)
Specimen Type: paratype Sex: f Institution: Holzschuh Collection Photographer: Lubo Dembický Collection Location: Xiling Snow Mountains, C Sichuan Province, China 67167
|