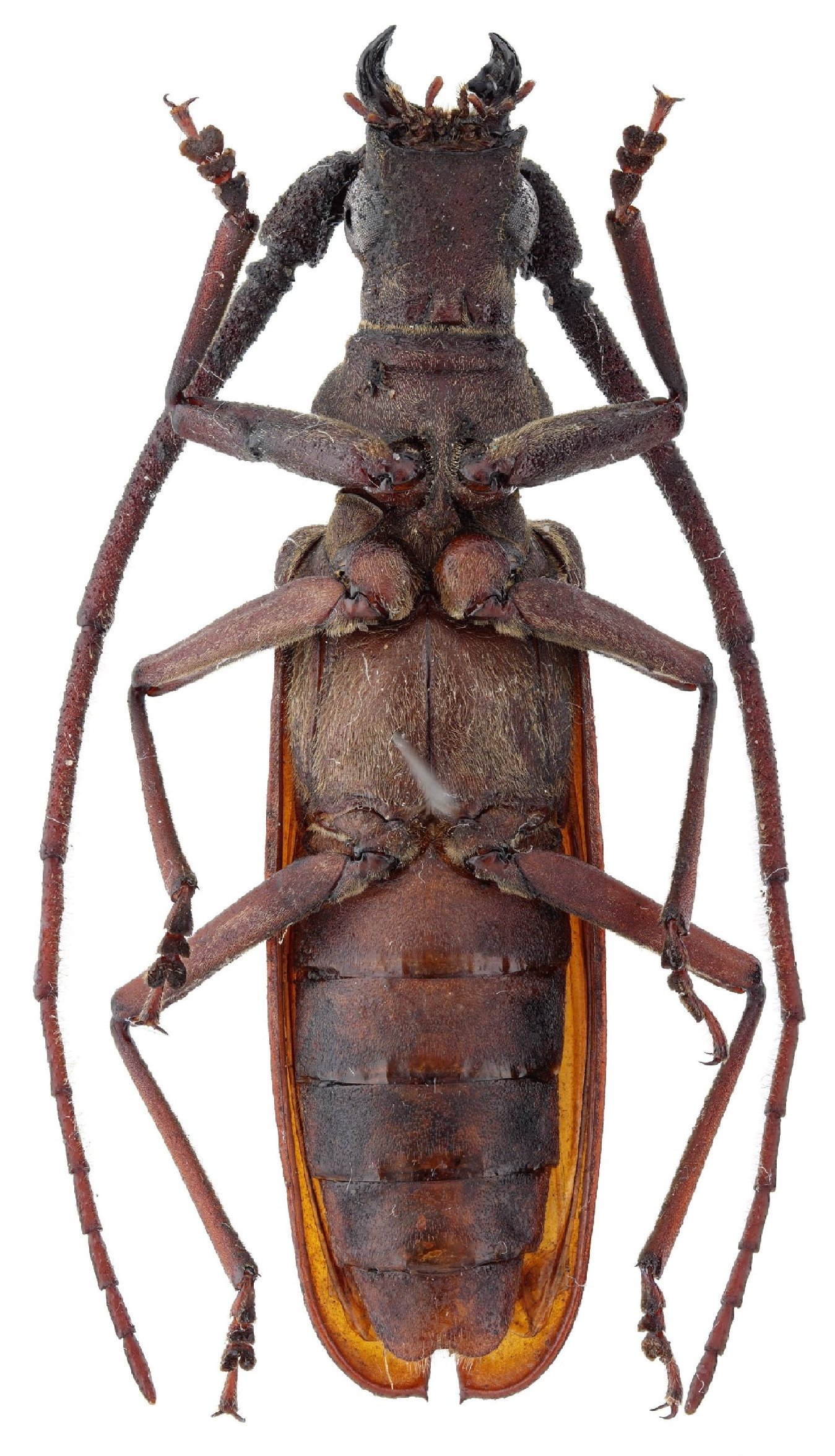
_Drumont_Do_IRSNB_Bach_Ma_Thua_Thien_Hue_prov_Vietnam_NM.jpg)
Specimen Type: holotype Sex: m Institution: IRSNB Royal Belgian Institute of Natural Sciences, Brussels, Belgium Photographer: Noel Mal Collection Location: Bach Ma, Thua Thien Hue Province, Vietnam 69565
|
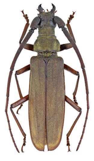
 Drumont Do IRSNB Bach Ma, Thua Thien Hue Province, Vietnam Camille Locatelli2.jpg)
Specimen Type: holotype©IRSNB Sex: m Institution: IRSNB Royal Belgian Institute of Natural Sciences, Brussels, Belgium Photographer: Camille Locatelli Collection Location: Bach Ma, Thua Thien Hue Province, Vietnam 77844
|
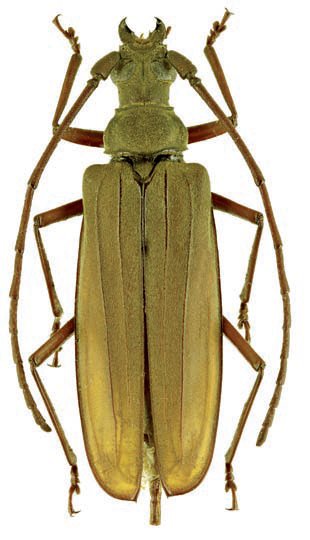
 Drumont Do IRSNB Bach Ma, Thua Thien Hue Province, Vietnam Camille Locatelli2.jpg)
Specimen Type: holotype©IRSNB Sex: m Institution: IRSNB Royal Belgian Institute of Natural Sciences, Brussels, Belgium Photographer: Camille Locatelli Collection Location: Bach Ma, Thua Thien Hue Province, Vietnam 77845
|
 Drumont Do IRSNB Bach Ma, Thua Thien Hue Province, Vietnam Camille Locatelli2.jpg)
Specimen Type: holotype©IRSNB Sex: m Institution: IRSNB Royal Belgian Institute of Natural Sciences, Brussels, Belgium Photographer: Camille Locatelli Collection Location: Bach Ma, Thua Thien Hue Province, Vietnam 77846
|
_Drumont_Do_IRSNB_Bach_Ma_Thua_Thien_Hue_prov_Vietnam_NM.jpg)
Specimen Type: paratype Sex: f Institution: IRSNB Royal Belgian Institute of Natural Sciences, Brussels, Belgium Photographer: Noel Mal Collection Location: Bach Ma, Thua Thien Hue Province, Vietnam 69566
|
|