 Gouv coll Vitali Ban Saluei, Mt Phu Pan, Hua Phan Province, Laos now Paradriopea.jpg)
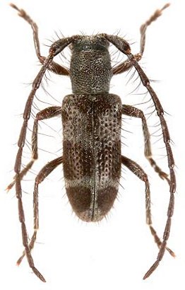
Protogyaritus griseofasciatus Gouverneur & Vitali Specimen Type: holotype Sex: m Institution: Gouverneur Collection Photographer: Xavier Gouverneur Collection Location: Ban Saluei, Mt Phu Pan, Hua Phan Province, Laos 89747
|
 Ban Saluei, Mt Phou Phan, Laos LD.jpg)
Institution: Holzschuh Collection Photographer: Lubo Dembický Collection Location: Ban Saluei, Mt Phu Phan, Hua Phan Province, Laos 76255
|