New Search Family, Subfamily and Tribe List

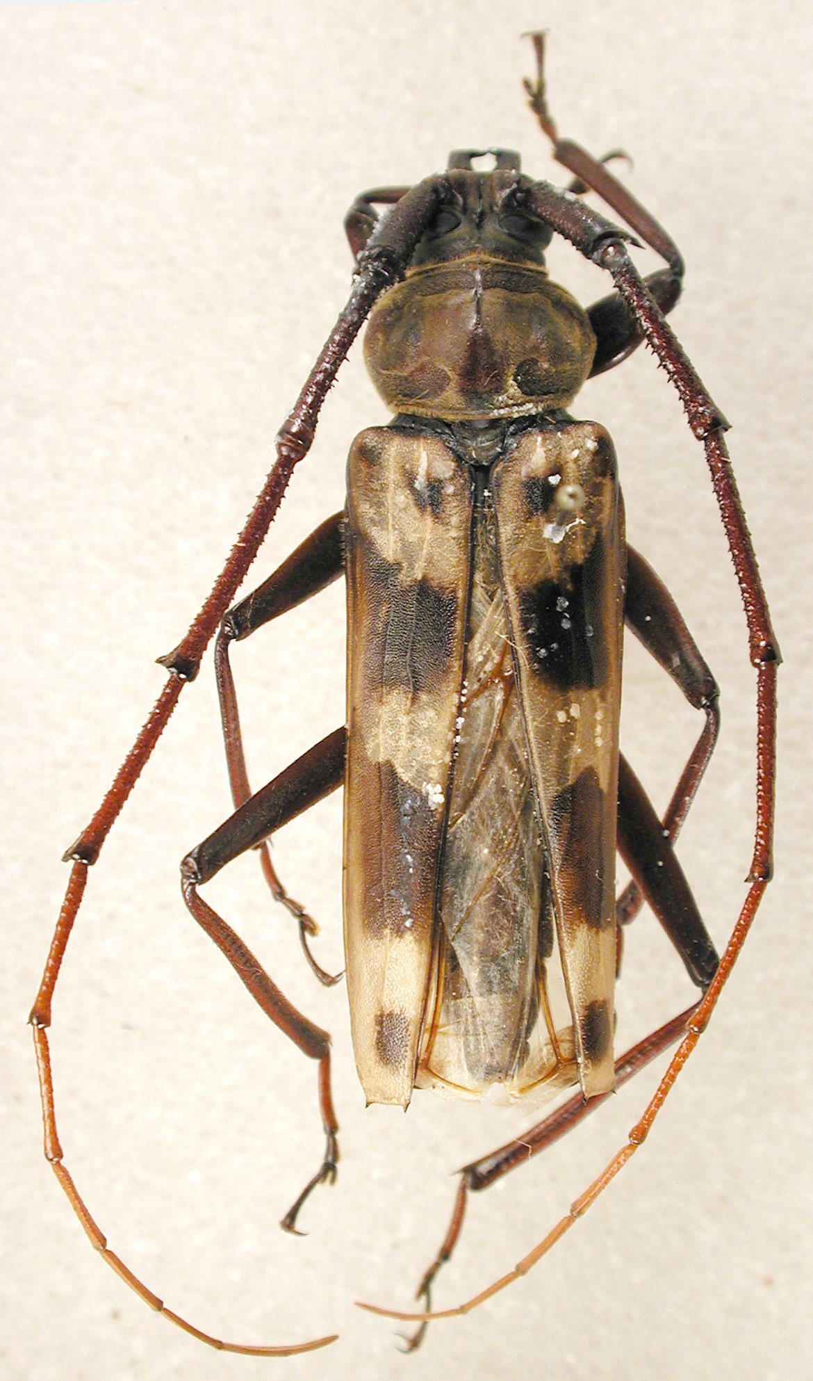
SubFamily Cerambycinae

Tribe Xystrocerini
Xystroceroides burgeoni Lepesme 1948

Institution: JCPC Jim Cope Collection, San Jose, California, USA now at CSCA, Sacramento
Photographer: Larry G. Bezark
Determiner: Jim Cope
Collection Location: Obout, Centre, Cameroon
100239


Photographer: Carlo Vitali, Cerambycoidea Forum
Collection Location: Cameroon
66947

130425