New Search Family, Subfamily and Tribe List

SubFamily Cerambycinae

Tribe Clytini
Xylotrechus tristisfacies Yang & Yang 2017

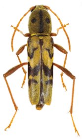
Specimen Type: holotype
Sex: m
Institution: Guizhou Normal Univ, Guiyang, China
Photographer: Shulin Yang
Collection Location: Leigongshan Nat'l Nature Preserve, Leishan County, Guizhou Prov, China
66895


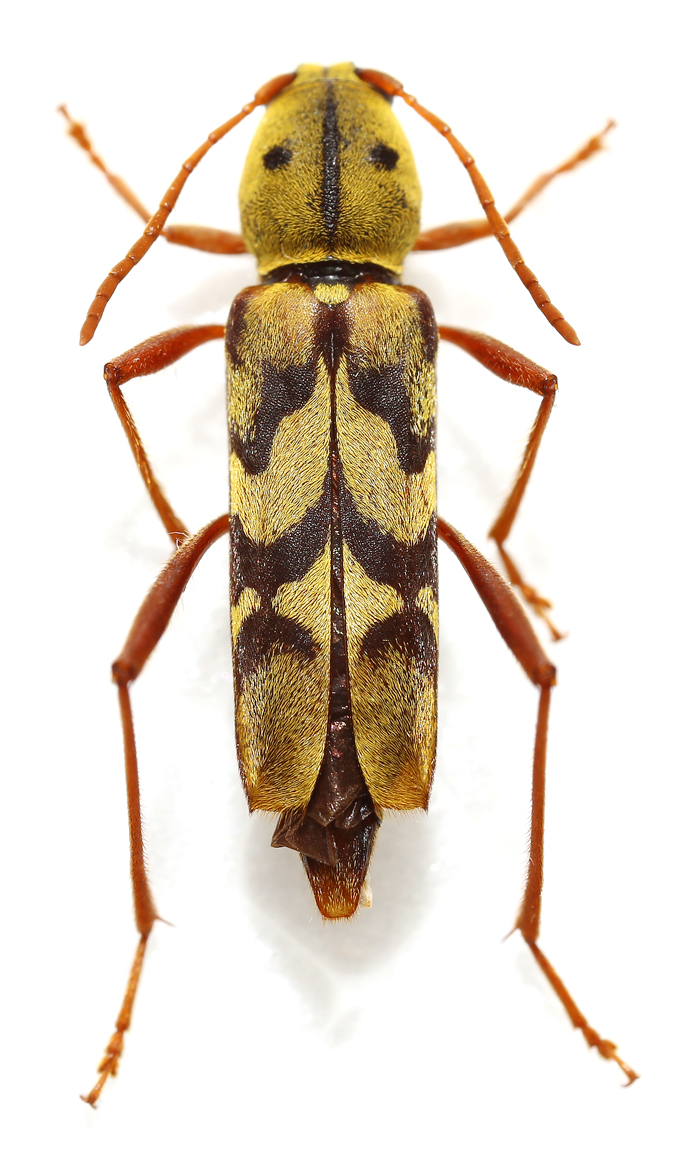
Specimen Type: holotype
Sex: m
Institution: Guizhou Normal Univ, Guiyang, China
Photographer: Shulin Yang
Collection Location: Leigongshan Nat'l Nature Preserve, Leishan County, Guizhou Prov, China
66896


Specimen Type: paratype
Sex: f
Institution: Guizhou Normal Univ, Guiyang, China
Photographer: Shulin Yang
Collection Location: Leigongshan Nat'l Nature Preserve, Leishan County, Guizhou Prov, China
66897


Specimen Type: paratype
Sex: f
Institution: Guizhou Normal Univ, Guiyang, China
Photographer: Shulin Yang
Collection Location: Leigongshan Nat'l Nature Preserve, Leishan County, Guizhou Prov, China
66898

130425