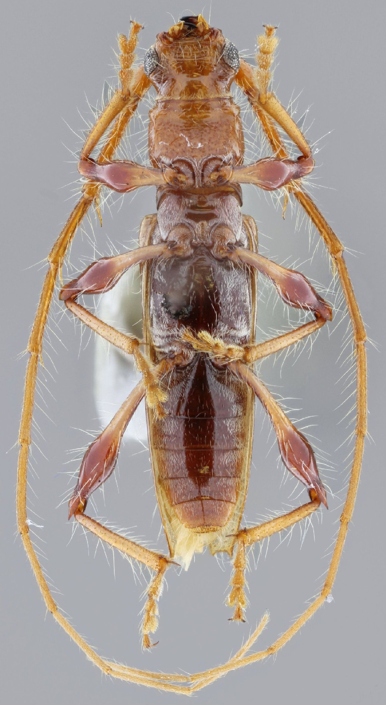
_Nascimento_FSCA_83km_N_Camiri_rd_to_Itai_SC_Bolivia.jpg)
Specimen Type: holotype Sex: m Institution: FSCA Florida State Collection of Arthropods, Gainesville, FL, USA Photographer: Antonio Santos-Silva Collection Location: 83 km N Camiri, road to Itai, Santa Cruz, Bolivia 67905
|
_Nascimento_FSCA_83km_N_Camiri_rd_to_Itai_SC_Bolivia.jpg)
Specimen Type: holotype Sex: m Institution: FSCA Florida State Collection of Arthropods, Gainesville, FL, USA Photographer: Antonio Santos-Silva Collection Location: 83 km N Camiri, road to Itai, Santa Cruz, Bolivia 67906
|
_Nascimento_FSCA_83km_N_Camiri_rd_to_Itai_SC_Bolivia.jpg)
Specimen Type: holotype Sex: m Institution: FSCA Florida State Collection of Arthropods, Gainesville, FL, USA Photographer: Antonio Santos-Silva Collection Location: 83 km N Camiri, road to Itai, Santa Cruz, Bolivia 67907
|
_Nascimento_FSCA_83km_N_Camiri_rd_to_Itai_SC_Bolivia.jpg)
Specimen Type: holotype Sex: m Institution: FSCA Florida State Collection of Arthropods, Gainesville, FL, USA Photographer: Antonio Santos-Silva Collection Location: 83 km N Camiri, road to Itai, Santa Cruz, Bolivia 67908
|
_Nascimento_ACMT_83km_N_Camiri_rd_to_Itai_SC_Bolivia.jpg)
Specimen Type: paratype Sex: f Institution: ACMT American Coleoptera Collection, Texas (now at FSCA) Photographer: Antonio Santos-Silva Collection Location: 83 km N Camiri, road to Itai, Santa Cruz, Bolivia 67909
|
_Nascimento_ACMT_83km_N_Camiri_rd_to_Itai_SC_Bolivia.jpg)
Specimen Type: paratype Sex: f Institution: ACMT American Coleoptera Collection, Texas (now at FSCA) Photographer: Antonio Santos-Silva Collection Location: 83 km N Camiri, road to Itai, Santa Cruz, Bolivia 67910
|
|