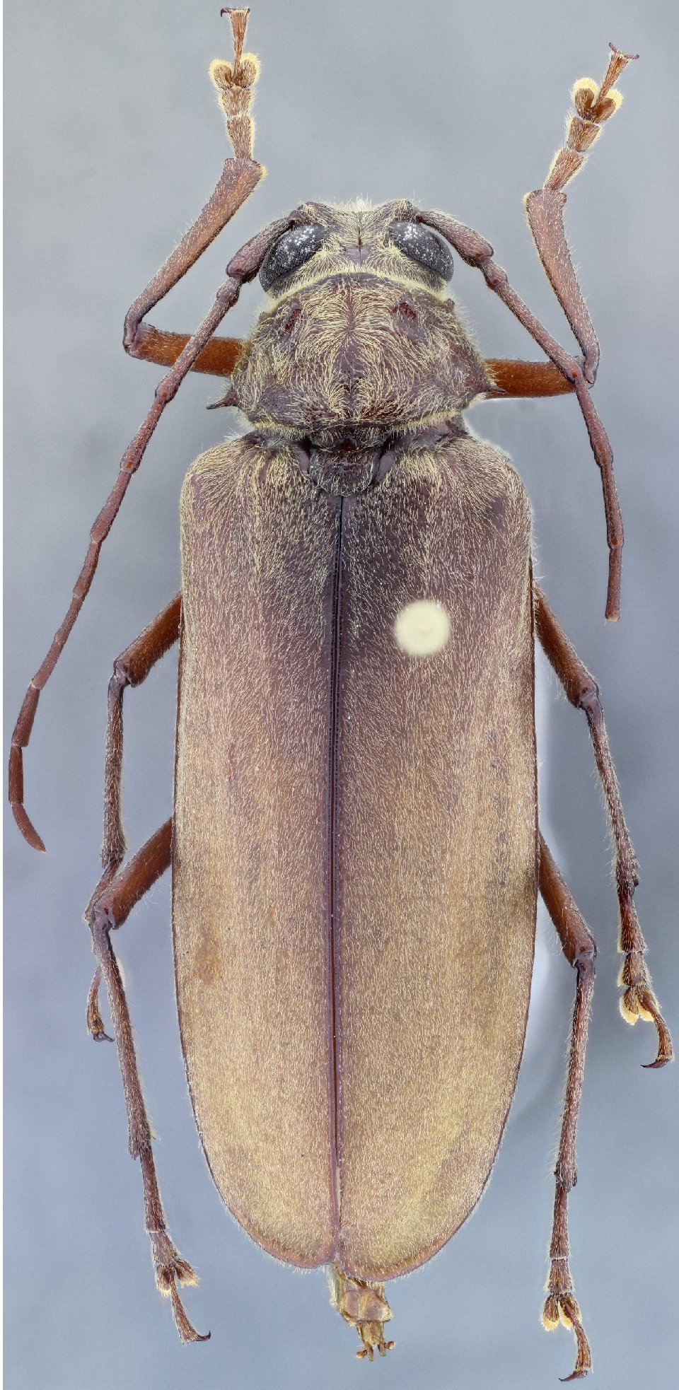
_Gal_SS_MZSP_Cusuco_NP_Cortes_Honduras.jpg)
Specimen Type: holotype Sex: m Institution: MZSP Museu de Zoologia da Universidade de São Paulo, Brazil Photographer: Antonio Santos-Silva Collection Location: Cusuco National Park, Cortes, Honduras 66327
|
_Gal_SS_MZSP_Cusuco_NP_Cortes_Honduras.jpg)
Specimen Type: holotype Sex: m Institution: MZSP Museu de Zoologia da Universidade de São Paulo, Brazil Photographer: Antonio Santos-Silva Collection Location: Cusuco National Park, Cortes, Honduras 66328
|
_Gal_SS_MZSP_Cusuco_NP_Cortes_Honduras.jpg)
Specimen Type: holotype Sex: m Institution: MZSP Museu de Zoologia da Universidade de São Paulo, Brazil Photographer: Antonio Santos-Silva Collection Location: Cusuco National Park, Cortes, Honduras 66329
|
_Gal_SS_MZSP_Cusuco_NP_Cortes_Honduras.jpg)
Specimen Type: holotype Sex: m Institution: MZSP Museu de Zoologia da Universidade de São Paulo, Brazil Photographer: Antonio Santos-Silva Collection Location: Cusuco National Park, Cortes, Honduras 66330
|
_Gal_SS_MZSP_Cusuco_NP_Cortes_Honduras.jpg)
Specimen Type: paratype Sex: f Institution: MZSP Museu de Zoologia da Universidade de São Paulo, Brazil Photographer: Antonio Santos-Silva Collection Location: Cusuco National Park, Cortes, Honduras 66331
|
|