New Search Family, Subfamily and Tribe List

SubFamily Cerambycinae

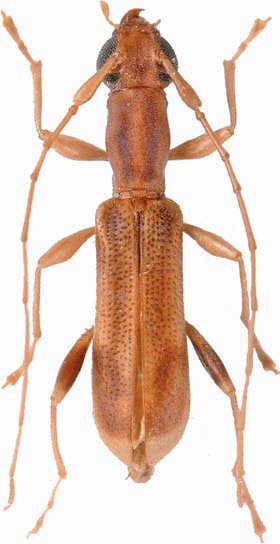
Tribe Obriini
Longipalpus luridus Holzschuh 2016

Specimen Type: holotype
Sex: m
Institution: Holzschuh Collection
Photographer: Luboš Dembický
Collection Location: Kinabalu Park, Sabah, Borneo
65159

130425