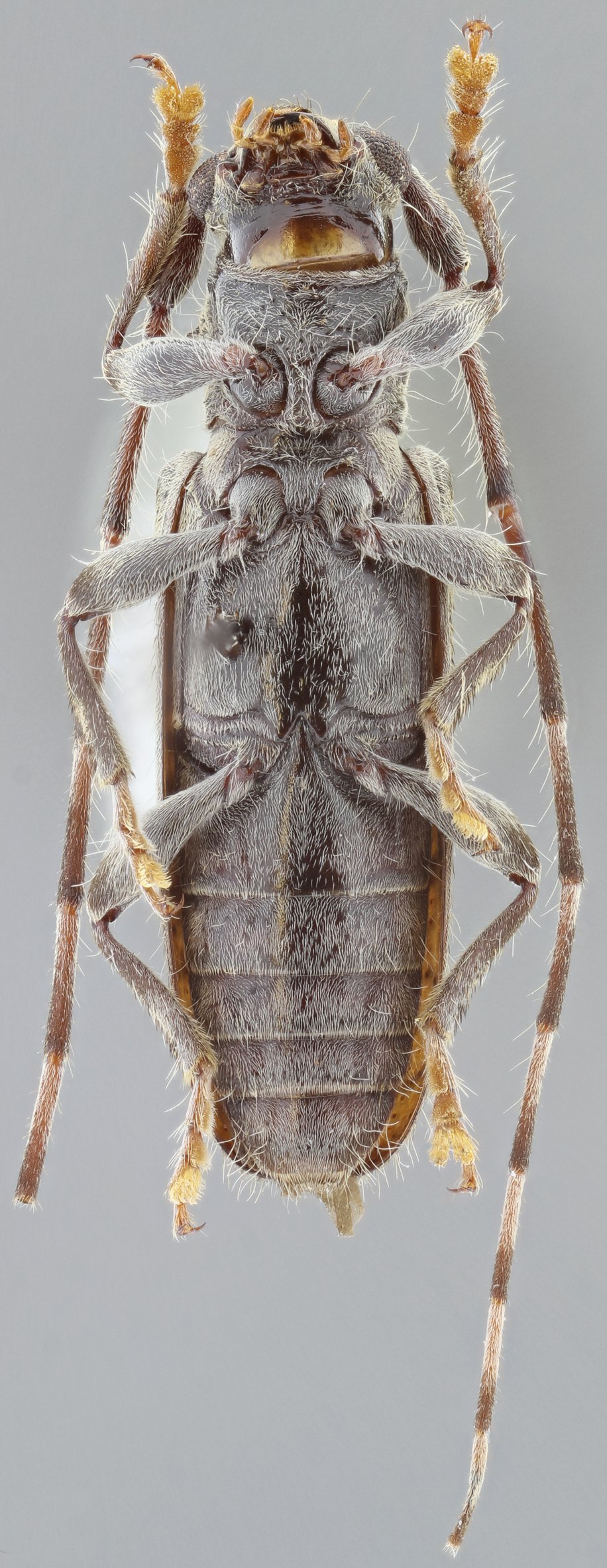
_SS_Wapp_Gal_FSCA_Cerro_Jesus_Nueva_Segovia_Nicaragua.jpg)
Specimen Type: holotype Sex: m Institution: FSCA Florida State Collection of Arthropods, Gainesville, FL, USA Photographer: Antonio Santos-Silva Collection Location: Cerro Jesus, Nueva Segovia, Nicaragua 63881
|
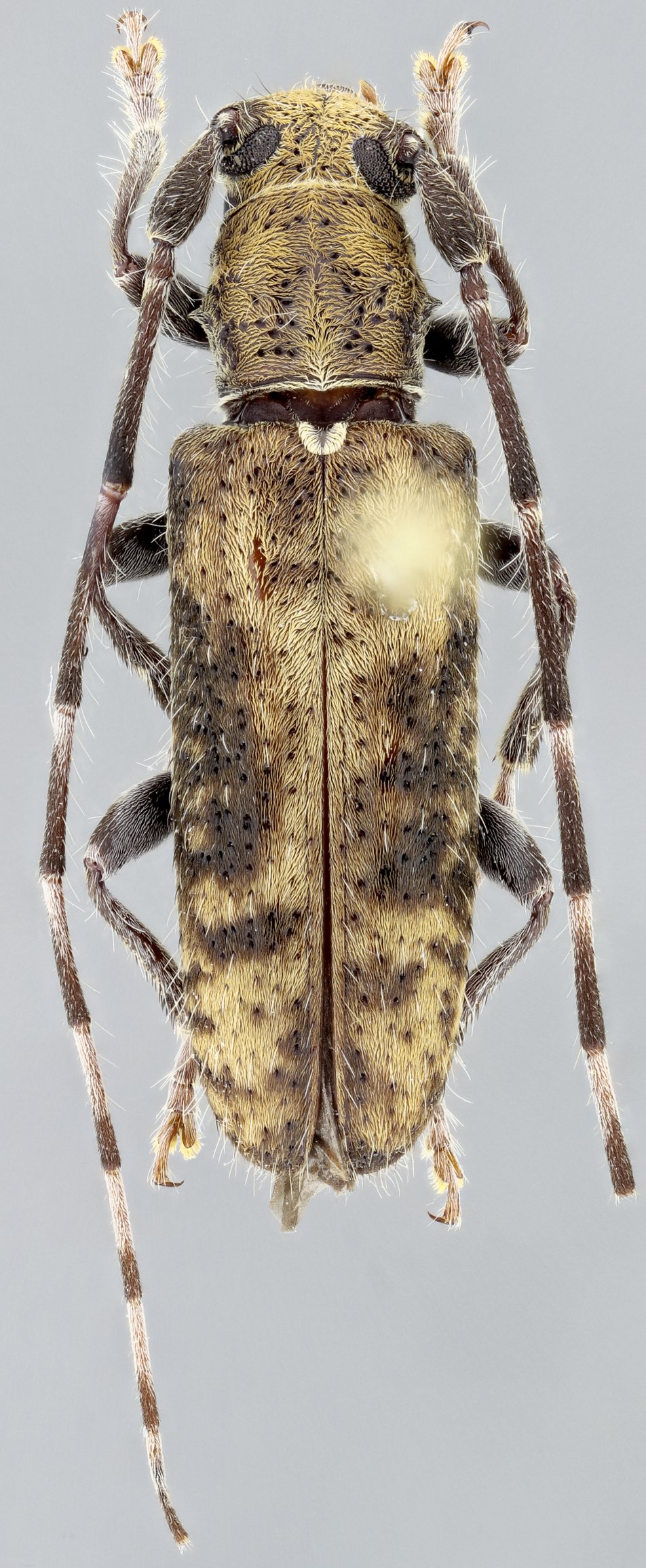
_SS_Wapp_Gal_FSCA_Cerro_Jesus_Nueva_Segovia_Nicaragua.jpg)
Specimen Type: holotype Sex: m Institution: FSCA Florida State Collection of Arthropods, Gainesville, FL, USA Photographer: Antonio Santos-Silva Collection Location: Cerro Jesus, Nueva Segovia, Nicaragua 63882
|
_SS_Wapp_Gal_FSCA_Cerro_Jesus_Nueva_Segovia_Nicaragua.jpg)
Specimen Type: holotype Sex: m Institution: FSCA Florida State Collection of Arthropods, Gainesville, FL, USA Photographer: Antonio Santos-Silva Collection Location: Cerro Jesus, Nueva Segovia, Nicaragua 63883
|
_SS_Wapp_Gal_FSCA_Cerro_Jesus_Nueva_Segovia_Nicaragua.jpg)
Specimen Type: holotype Sex: m Institution: FSCA Florida State Collection of Arthropods, Gainesville, FL, USA Photographer: Antonio Santos-Silva Collection Location: Cerro Jesus, Nueva Segovia, Nicaragua 63884
|
|