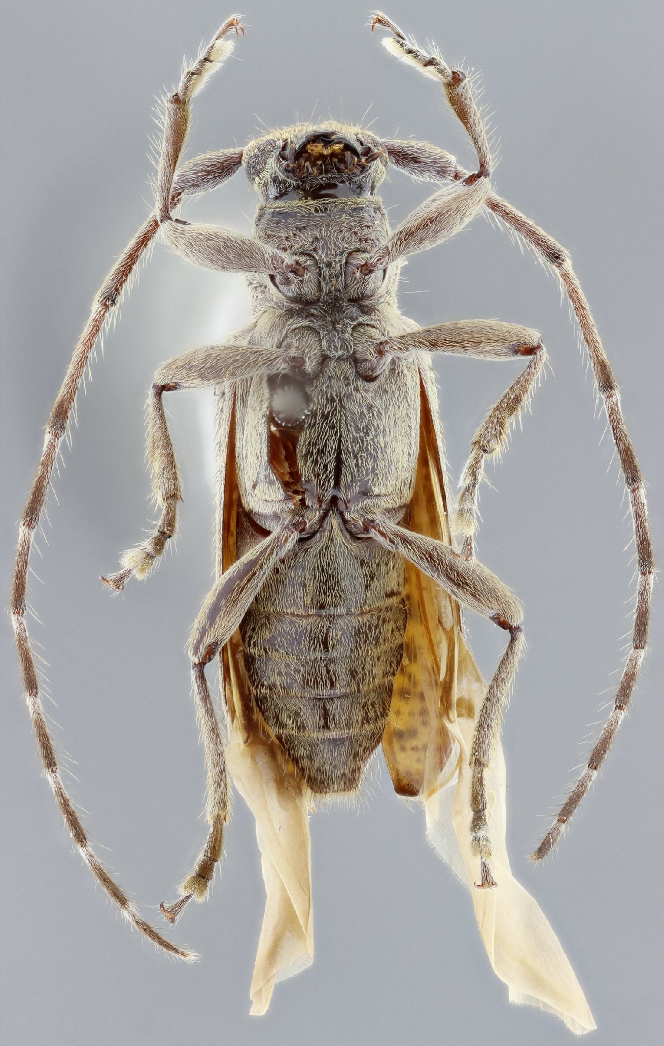
_SS_Wapp_Gal_FSCA_San_Antonio_do_Oriente_Fran_Morazan_Honduras.jpg)
Specimen Type: holotype Sex: m Institution: FSCA Florida State Collection of Arthropods, Gainesville, FL, USA Photographer: Antonio Santos-Silva Collection Location: San Antonio do Oriente, Francisco Morazan, Honduras 63885
|
_SS_Wapp_Gal_FSCA_San_Antonio_do_Oriente_Fran_Morazan_Honduras.jpg)
Specimen Type: holotype Sex: m Institution: FSCA Florida State Collection of Arthropods, Gainesville, FL, USA Photographer: Antonio Santos-Silva Collection Location: San Antonio do Oriente, Francisco Morazan, Honduras 63886
|
_SS_Wapp_Gal_FSCA_San_Antonio_do_Oriente_Fran_Morazan_Honduras.jpg)
Specimen Type: holotype Sex: m Institution: FSCA Florida State Collection of Arthropods, Gainesville, FL, USA Photographer: Antonio Santos-Silva Collection Location: San Antonio do Oriente, Francisco Morazan, Honduras 63887
|
_SS_Wapp_Gal_FSCA_San_Antonio_do_Oriente_Fran_Morazan_Honduras.jpg)
Specimen Type: holotype Sex: m Institution: FSCA Florida State Collection of Arthropods, Gainesville, FL, USA Photographer: Antonio Santos-Silva Collection Location: San Antonio do Oriente, Francisco Morazan, Honduras 63888
|
|