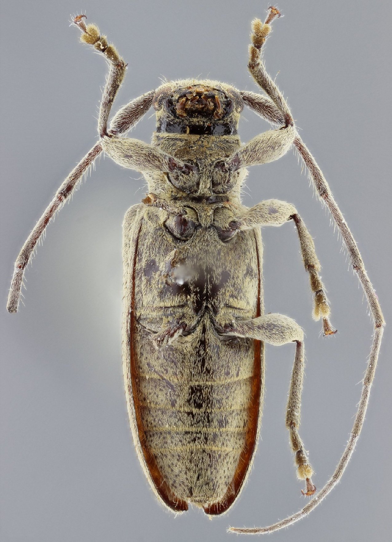
_SS_Wapp_Gal_FSCA_6kmW_Yautepec_Morelos_Mex.jpg)
Specimen Type: holotype Sex: f Institution: FSCA Florida State Collection of Arthropods, Gainesville, FL, USA Photographer: Antonio Santos-Silva Collection Location: 6 km W Yautepec, Morelos, Mexico 63902
|
_SS_Wapp_Gal_FSCA_6kmW_Yautepec_Morelos_Mex.jpg)
Specimen Type: holotype Sex: f Institution: FSCA Florida State Collection of Arthropods, Gainesville, FL, USA Photographer: Antonio Santos-Silva Collection Location: 6 km W Yautepec, Morelos, Mexico 63903
|
_SS_Wapp_Gal_FSCA_6kmW_Yautepec_Morelos_Mex.jpg)
Specimen Type: holotype Sex: f Institution: FSCA Florida State Collection of Arthropods, Gainesville, FL, USA Photographer: Antonio Santos-Silva Collection Location: 6 km W Yautepec, Morelos, Mexico 63904
|
_SS_Wapp_Gal_FSCA_6kmW_Yautepec_Morelos_Mex.jpg)
Specimen Type: holotype Sex: f Institution: FSCA Florida State Collection of Arthropods, Gainesville, FL, USA Photographer: Antonio Santos-Silva Collection Location: 6 km W Yautepec, Morelos, Mexico 63905
|
_SS_Wapp_Gal_FSCA_6kmW_Yautepec_Morelos_Mex.jpg)
Specimen Type: holotype Sex: f Institution: FSCA Florida State Collection of Arthropods, Gainesville, FL, USA Photographer: Antonio Santos-Silva Collection Location: 6 km W Yautepec, Morelos, Mexico 63906
|
|