_Botero_MNRJ_Sao_Paulo_de_Olivenca_AM_Brazil.jpg)
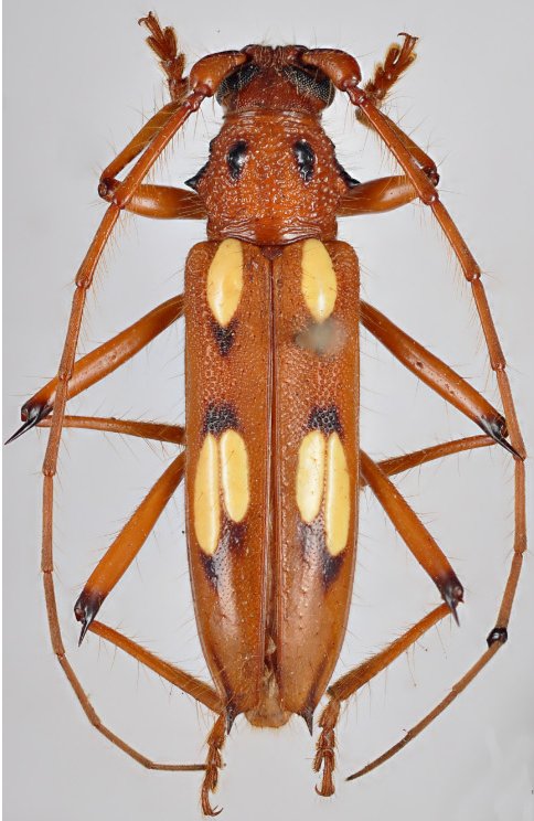
Specimen Type: holotype Sex: f Institution: MNRJ Museu Nacional Universidade do Rio Janeiro, Brazil Photographer: Juan Pablo Botero Collection Location: Sao Paulo de Olivenca, Amazonas, Brazil 63393
|
_Botero_MNRJ_Sao_Paulo_de_Olivenca_AM_Brazil.jpg)
Specimen Type: holotype Sex: f Institution: MNRJ Museu Nacional Universidade do Rio Janeiro, Brazil Photographer: Juan Pablo Botero Collection Location: Sao Paulo de Olivenca, Amazonas, Brazil 63394
|
_Botero_MNRJ_Sao_Paulo_de_Olivenca_AM_Brazil.jpg)
Specimen Type: holotype Sex: f Institution: MNRJ Museu Nacional Universidade do Rio Janeiro, Brazil Photographer: Juan Pablo Botero Collection Location: Sao Paulo de Olivenca, Amazonas, Brazil 63395
|
_Botero_MNRJ_Tabatinga_AM_Brazil.jpg)
Specimen Type: paratype Sex: m Institution: MNRJ Museu Nacional Universidade do Rio Janeiro, Brazil Photographer: Juan Pablo Botero Collection Location: Tabatinga, Amazonas, Brazil 63396
|
|