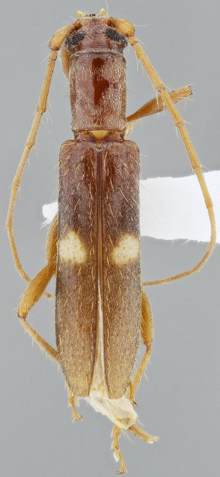
_SS_Gal_Wappes_MNKM_Regugio_Los_Volcanes_SC_Bol.jpg)
Specimen Type: holotype Sex: m Institution: MNKM Museo de Hist Nat Noel Kempff Mercado Santa Cruz de la Sierra, Bolivia Photographer: Antonio Santos-Silva Collection Location: Refugio Los Volcanes, Santa Cruz, Bolivia 62384
|
_SS_Gal_Wappes_MNKM_Regugio_Los_Volcanes_SC_Bol.jpg)
Specimen Type: holotype Sex: m Institution: MNKM Museo de Hist Nat Noel Kempff Mercado Santa Cruz de la Sierra, Bolivia Photographer: Antonio Santos-Silva Collection Location: Refugio Los Volcanes, Santa Cruz, Bolivia 62385
|
_SS_Gal_Wappes_MNKM_Regugio_Los_Volcanes_SC_Bol.jpg)
Specimen Type: holotype Sex: m Institution: MNKM Museo de Hist Nat Noel Kempff Mercado Santa Cruz de la Sierra, Bolivia Photographer: Antonio Santos-Silva Collection Location: Refugio Los Volcanes, Santa Cruz, Bolivia 62386
|
_SS_Gal_Wappes_MNKM_Regugio_Los_Volcanes_SC_Bol.jpg)
Specimen Type: holotype Sex: m Institution: MNKM Museo de Hist Nat Noel Kempff Mercado Santa Cruz de la Sierra, Bolivia Photographer: Antonio Santos-Silva Collection Location: Refugio Los Volcanes, Santa Cruz, Bolivia 62387
|
_SS_Gal_Wappes_MNKM_Regugio_Los_Volcanes_SC_Bol.jpg)
Specimen Type: paratype Sex: f Institution: MNKM Museo de Hist Nat Noel Kempff Mercado Santa Cruz de la Sierra, Bolivia Photographer: Antonio Santos-Silva Collection Location: Refugio Los Volcanes, Santa Cruz, Bolivia 62388
|
|