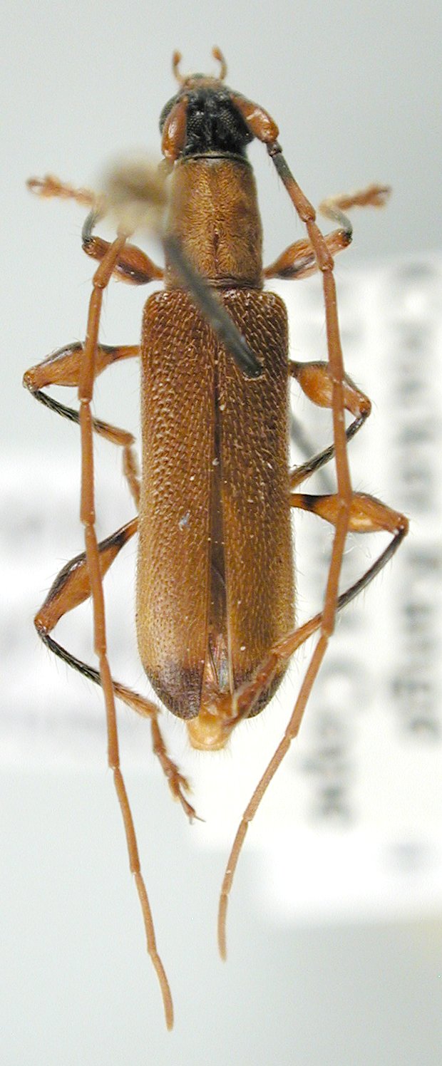
 Holzschuh coll Kenigau, Crocker Range, Sabah, Borneo LD.jpg)
Specimen Type: holotype Sex: f Institution: Holzschuh Collection Photographer: Lubo Dembický Collection Location: Kenigau, Crocker Range, Sabah, Borneo 89694
|

Institution: JCPC Jim Cope Collection, San Jose, California, USA now at CSCA, Sacramento Photographer: Larry G. Bezark Determiner: Jim Cope Collection Location: Crocker Range, Sabah, Borneo 99960
|

Institution: JCPC Jim Cope Collection, San Jose, California, USA now at CSCA, Sacramento Photographer: Larry G. Bezark Determiner: Jim Cope Collection Location: Crocker Range, Sabah, Borneo 99961
|
|