New Search Family, Subfamily and Tribe List

SubFamily Cerambycinae

Tribe Uracanthini
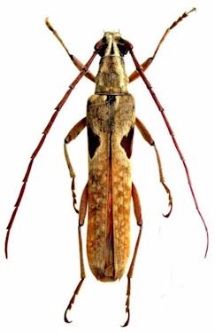
Uracanthus maculatus Thongphak & Wang 2007

Photographer: Slipinski & Escalona
62090


Photographer: Slipinski & Escalona
62091


Photographer: Thongphak & Wang
66493

130425