_Do_Nong_Fa_Crater_Annan_Highlands_Attapeu_Prov_SE_Laos_NM.jpg)
Sex: m Photographer: Noel Mal Collection Location: Nong Fa Crater, Annan Highlands, Attapeu Province, SE Laos 70043
|
_Do_Phonsavan_Punyan_Xieng_Khouang_Prov_NE_Laos_NM.jpg)
Sex: f Photographer: Noel Mal Collection Location: Phonsavan, Punyan, Xieng Khouang Province, NE Laos 70044
|
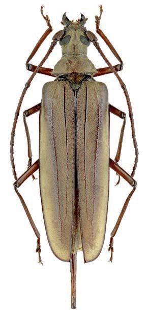
_Do_Bi_Doup_NP_Lam_Dong_Prov_Viet_V126BLUE.jpg)
Specimen Type: topotype Sex: f Institution: LGBC Larry G. Bezark Collection, Sacramento, California, USA Photographer: Larry G. Bezark Collection Location: Bi Doup National Park, Lam Dong Province, Vietnam 60631
|
_Do_Bi_Doup_NP_Lam_Dong_Prov_Viet_V126BLUE.jpg)
Specimen Type: topotype Sex: f Institution: LGBC Larry G. Bezark Collection, Sacramento, California, USA Photographer: Larry G. Bezark Collection Location: Bi Doup National Park, Lam Dong Province, Vietnam 60632
|
|