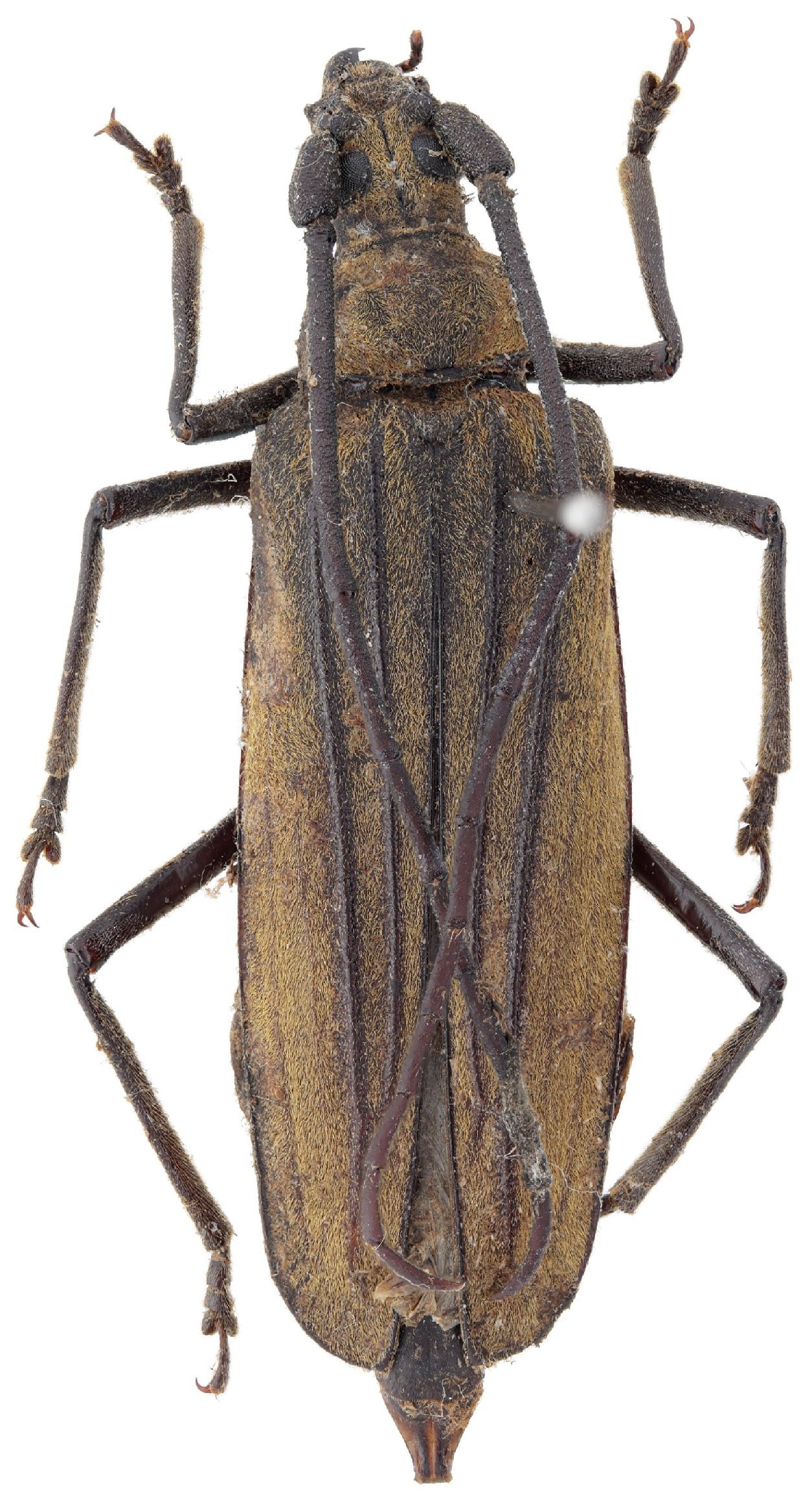
 Drumont Bi IRSNB Diaoluoshan near Tian-Hu Lake, Hainan, China Locatelli2.jpg)
Specimen Type: paratype©IRSNB Sex: f Institution: IRSNB Royal Belgian Institute of Natural Sciences, Brussels, Belgium Photographer: Camille Locatelli Collection Location: Diaoluoshan near Tian-Hu Lake, Hainan, China 77840
|
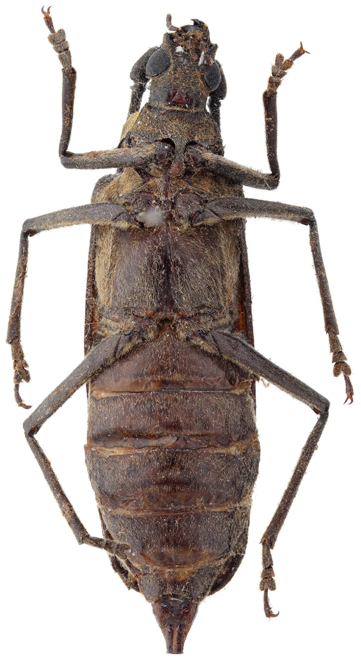
 Drumont Bi IRSNB Diaoluoshan near Tian-Hu Lake, Hainan, China Locatelli2.jpg)
Specimen Type: paratype©IRSNB Sex: f Institution: IRSNB Royal Belgian Institute of Natural Sciences, Brussels, Belgium Photographer: Camille Locatelli Collection Location: Diaoluoshan near Tian-Hu Lake, Hainan, China 77841
|
 Drumont Bi IRSNB Diaoluoshan near Tian-Hu Lake, Hainan, China Locatelli2.jpg)
Specimen Type: paratype©IRSNB Sex: f Institution: IRSNB Royal Belgian Institute of Natural Sciences, Brussels, Belgium Photographer: Camille Locatelli Collection Location: Diaoluoshan near Tian-Hu Lake, Hainan, China 77842
|
 Drumont Bi IRSNB Diaoluoshan near Tian-Hu Lake, Hainan, China Locatelli2.jpg)
Specimen Type: paratype©IRSNB Sex: f Institution: IRSNB Royal Belgian Institute of Natural Sciences, Brussels, Belgium Photographer: Camille Locatelli Collection Location: Diaoluoshan near Tian-Hu Lake, Hainan, China 77843
|
|