New Search Family, Subfamily and Tribe List

SubFamily Cerambycinae

Tribe Clytini
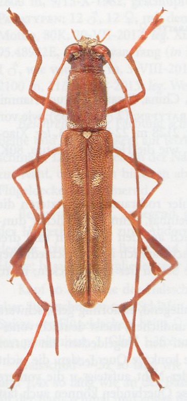
Rhaphuma squamulifera Holzschuh 2016

Specimen Type: holotype
Sex: m
Institution: Holzschuh Collection
Photographer: Luboš Dembický
Collection Location: Qinling Shan, 6 km E Xunyangba, Shaanxi, China
89687

130425