_Gal_SS_FSCA_El_Valle_Cocle_Panama.jpg)
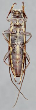
Specimen Type: holotype Sex: f Institution: FSCA Florida State Collection of Arthropods, Gainesville, FL, USA Photographer: Antonio Santos-Silva Collection Location: El Valle, Cocle, Panama 59517
|
_Gal_SS_FSCA_El_Valle_Cocle_Panama.jpg)
Specimen Type: holotype Sex: f Institution: FSCA Florida State Collection of Arthropods, Gainesville, FL, USA Photographer: Antonio Santos-Silva Collection Location: El Valle, Cocle, Panama 59518
|
_Gal_SS_FSCA_El_Valle_Cocle_Panama.jpg)
Specimen Type: holotype Sex: f Institution: FSCA Florida State Collection of Arthropods, Gainesville, FL, USA Photographer: Antonio Santos-Silva Collection Location: El Valle, Cocle, Panama 59519
|
_Gal_SS_FSCA_El_Valle_Cocle_Panama.jpg)
Specimen Type: holotype Sex: f Institution: FSCA Florida State Collection of Arthropods, Gainesville, FL, USA Photographer: Antonio Santos-Silva Collection Location: El Valle, Cocle, Panama 59520
|
|