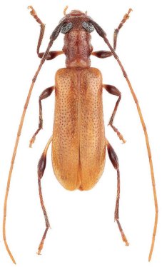
_Niisato_Oh_NIBR_Osaek-ri_Yangyang-gun_Gwangwon-do_Korea.jpg)
Specimen Type: holotype Sex: m Institution: NIBR National Institute of Biological Resources, Incheon, Korea Collection Location: Osaek-ri, Yangyang-gun, Gwangwon-do, Korea 59160
|
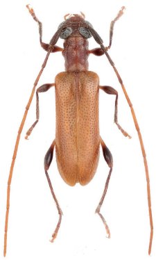
_Niisato_Oh_NIBR_Osaek-ri_Yangyang-gun_Gwangwon-do_Korea.jpg)
Specimen Type: paratype Sex: f Institution: NIBR National Institute of Biological Resources, Incheon, Korea Collection Location: Osaek-ri, Yangyang-gun, Gwangwon-do, Korea 59161
|