_Xie_Shi_Wang_EMYU_Dashahe_Nat_Reserve_Guizhou_China.jpg)
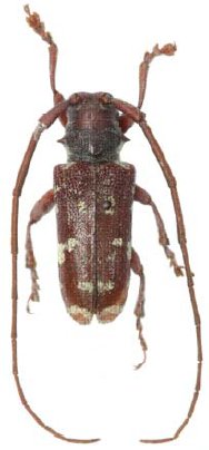
Specimen Type: holotype Sex: m Institution: EMYU Entomological Museum, Yangtze University, Jingzhou, China Determiner: Far Eastern Entomologist Collection Location: Dashahe Natural Reserve, Guizhou Province, China 58866
|
_Xie_Shi_Wang_EMYU_Dashahe_Nat_Reserve_Guizhou_China.jpg)
Specimen Type: holotype Sex: m Institution: EMYU Entomological Museum, Yangtze University, Jingzhou, China Determiner: Far Eastern Entomologist Collection Location: Dashahe Natural Reserve, Guizhou Province, China 58867
|