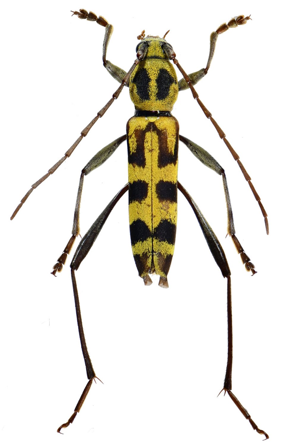
_Viktora_coll_10kmN_Muang_Tha_Teng_Bolavens-Plateau_Sekong_Province_Laos.jpg)
Specimen Type: holotype Sex: m Institution: Viktora Collection Photographer: Petr Viktora Collection Location: 10 km N Muang Tha Teng, Bolavens-Plateau, Sekong Province, Laos 58808
|
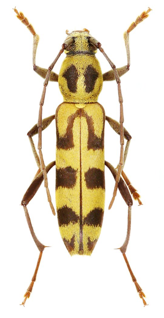
_Viktora_coll_10kmN_Muang_Tha_Teng_Bolavens-Plateau_Sekong_Province_Laos.jpg)
Specimen Type: paratype Sex: f Institution: Viktora Collection Photographer: Petr Viktora Collection Location: 10 km N Muang Tha Teng, Bolavens-Plateau, Sekong Province, Laos 58809
|