_Holz_Coll_Sa_Pa_Hoang_Lieng_Son_Tonkin_Vietnam.jpg)
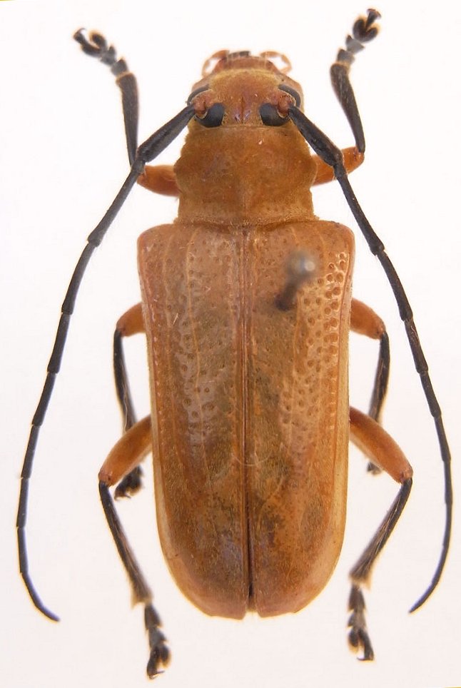
Specimen Type: holotype Sex: m Institution: Holzschuh Collection Determiner: Zeistschrift AEG Collection Location: Sa Pa, Hoang Lieng Son, Tonkin, Vietnam 58733
|
_Holz_Coll_Sa_Pa_Hoang_Lieng_Son_Tonkin_Vietnam.jpg)
Specimen Type: paratype Sex: f Institution: Holzschuh Collection Determiner: Zeistschrift AEG Collection Location: Sa Pa, Hoang Lieng Son, Tonkin, Vietnam 58734
|