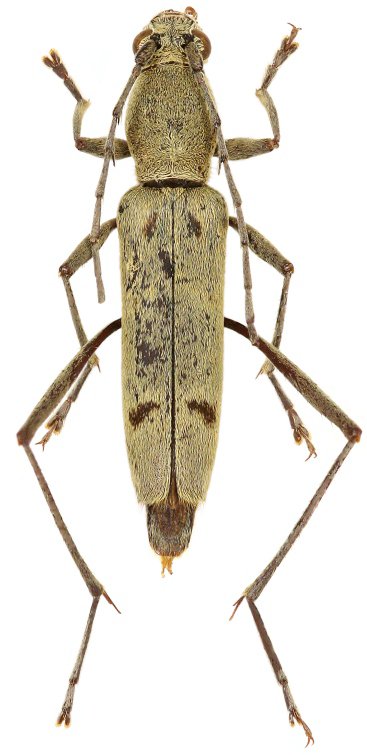
_Holz_Coll_Ban_Saleui.jpg)
Specimen Type: holotype Sex: m Institution: Holzschuh Collection Determiner: Zeistschrift AEG Collection Location: Ban Saluei, Mt Phou Pan, Hua Phan Province, Laos 58569
|
_Holzschuh_Hua_Phan_Laos_Viktora.jpg)
Sex: f Institution: Viktora Collection Photographer: Petr Viktora Collection Location: Hua Phan, Laos 75061
|